Discover a prime development opportunity in the charming town of Asse with this exceptional building plot now available for sale at €148,500. Located on Bergestraat 47 in a tranquil street setting, this spacious 3a 7ca parcel offers a perfect canvas for constructing your dream home or investment project. With a generous total surface area of 307 square meters and a depth of 41 meters, this plot provides ample space for a well-designed residential property. The lot is situated within a subdivision (lot 4), subject to specific building regulations that ensure a harmonious architectural integration with the surrounding environment. This offers prospective buyers the chance to create a contemporary, two-story residence that adheres to local planning standards, including building setbacks, maximum height, and roof slope requirements. The zoning of this land is classified as residential, situated in a peaceful neighborhood that combines urban comfort with natural surroundings. The property is not located in an area prone to flooding, providing additional peace of mind for future development. The plot benefits from a right of pre-emption, adding an extra layer of security for potential buyers. Currently unoccupied and available for immediate transfer upon signing the deed, this site presents a straightforward opportunity for developers or individuals seeking to build a family home in a desirable location close to the heart of Asse. Its commanding size and strategic position make it ideal for those looking to tailor their living space to personal preferences while enjoying the benefits of a well-established community. If you are considering investing in land with excellent potential in Asse, do not hesitate to contact us for more details. Whether via phone or visiting our office, our team is ready to provide you with further information and guide you through the purchasing process. Building your future on this spacious plot could be the perfect step toward creating a personalized residence in one of Belgium’s most sought-after regions. Reach out today to explore this unique opportunity and turn your vision into reality in the vibrant municipality of Asse. Want to know more?
Land for sale - Asse
Discover a prime development opportunity in the charming town of Asse with this vacant building plot now available for purchase at the attractive price of €148,500. Located at Bergestraat 45, this parcel of land offers a generous total surface area of 3 ares and 9 centiares, equating to 309 square meters of well-positioned real estate. Its strategic placement in a quiet street near the town center makes it an ideal location for constructing a private residence or a small residential project. The plot features a depth of 40 meters, providing ample space for a thoughtfully designed home that can meet modern standards and personal preferences. The land is currently unoccupied and available for transfer upon signing the deed, offering a straightforward pathway for development. This property falls within a well-defined lot (lot 3) within a residential development area that adheres to specific building regulations. The planning guidelines specify that the construction must be set back at least 5 meters from the future building line, which itself is situated 10 meters from the street axis, ensuring proper spacing and neighborhood cohesion. The main building can reach a maximum depth of 10 meters, with permission for two floors to create a visually cohesive architectural ensemble. The height restrictions specify a minimum of 6.50 meters and a maximum of 8 meters above the top of the cornice, allowing flexibility in design while maintaining harmony with local zoning standards. The roof pitch must be at least 45°, typical of traditional Belgian architecture, especially for pitched roofs, contributing to the aesthetic appeal of future constructions. Attachable annexes are permitted with a maximum depth of 5 meters and height of 3 meters, providing additional options for storage or auxiliary spaces. The location benefits from its proximity to Asse’s amenities and services, with the property situated within a residential zone designated for urban or rural living. The area is not prone to flooding and does not fall within any flood-prone zones, adding peace of mind regarding environmental risks. Notably, there is a pre-emptive right on the property, which might influence the purchase process, but this also underscores its desirability within the local market. The land lacks an "as-built" certificate currently, but its urban planning classification as residential ensures that it is suitable for building your dream home or investment project. If you wish to explore this exceptional opportunity further, contact our office at info@structura or call us at ### to arrange a viewing or obtain additional information. This plot of land stands as an excellent investment in a promising location with clear building regulations, making it ideal for those seeking to develop in Asse's welcoming community. Want to know more?
Discover an exceptional opportunity to develop a prime plot of land in the charming town of Asse. This spacious piece of property, measuring 6 ares and 8 centiares (608 m²), offers the perfect canvas for building your dream home or investment project. Situated on Gentsesteenweg 30, this land benefits from excellent accessibility and a strategic location, making it highly desirable for those seeking a combination of tranquility and convenience. Priced at €159,000, this property provides a valuable investment in a thriving area with numerous amenities nearby. The land is well-suited for constructing a single-family residence, with the flexibility to design either a flat or pitched roof according to your preferences. Its street frontage of 5.5 meters ensures sufficient access and aesthetic appeal for your future property. The site is equipped with essential utilities, including gas, water, and electricity connections, simplifying the building process. Being free from flood risk and not located within an overrun area adds to the property's appeal, providing peace of mind for potential buyers. Furthermore, the land's availability is immediate upon signing the deed, allowing for swift development plans. Located within walking distance of various shops, schools, major roads, and public transportation options, this plot of land offers an ideal environment for families, professionals, or investors. The area seamlessly combines accessibility with a comfortable lifestyle, making it an attractive choice for those seeking to settle in Asse. For further details about the development possibilities or to arrange a viewing, please contact us. This unique opportunity invites you to secure a valuable piece of real estate in one of Belgium’s most promising regions. Want to know more?
Discover a prime development opportunity in the picturesque Mollem, a charming village that offers the perfect blend of tranquility and accessibility just outside Brussels. For those seeking to create their ideal home in a serene environment, this building plot presents an exceptional chance to realize your vision. Located at Voorstehoeve 112 A, this spacious 759 m² plot is available for €174,000, offering ample space to construct a custom-designed residence tailored to your needs and preferences. The site is designated for a semi-detached house, with specific building guidelines ensuring harmonious integration into the surrounding landscape. The buildable area allows for a maximum footprint of 7 meters in width and 15 meters in depth on the ground floor, with an option to include an attic with a maximum height of 6.4 meters, following the roofline and gable design of neighboring properties. The zoning permits the construction of a house featuring pitched roofs, dormer windows, and a basement if desired, providing flexibility for imaginative architecture. Additionally, the possibility of erecting auxiliary structures such as a garden shed, greenhouse, or storage unit up to 15 m² further enhances the versatility of this plot. The surrounding environment boasts open meadows, woodlands, and well-maintained green spaces, ideal for outdoor activities like walking, cycling, or simply unwinding amidst nature. With easy access to sports facilities, cultural centres, local shops, and public transportation, Mollem combines rural charm with urban convenience. The location of this development site offers numerous practical advantages for future residents. Positioned just minutes from local amenities—such as bakeries, butchers, and newsagents—daily errands are easily managed within a short drive or walk. For larger shopping requirements, nearby towns like Merchtem and Asse provide supermarkets and other retail outlets. Education facilities are also conveniently close, with a primary school available within the village, making it an excellent choice for families seeking a peaceful yet connected lifestyle. Commuters will appreciate the proximity to the Mollem train station on the Brussels-Dendermonde line, enabling quick and reliable travel to Brussels and beyond. The area benefits from good road connectivity and public transport options, ensuring mobility is straightforward and efficient. Importantly, the plot is situated outside any flood-prone zones and is not subject to any building obligations, providing prospective buyers with flexibility and peace of mind. Whether you’re an investor keen on developing a bespoke residence or an individual looking to settle in a scenic setting close to Brussels’ vibrant capital, this development site represents a compelling opportunity to craft your future home in one of Belgium’s most peaceful regions. If you are interested in exploring this unique plot and taking the next step towards building your dream property in Mollem, contact us today for more information or to arrange a viewing. This is a rare chance to acquire a sizeable piece of land in an idyllic Belgian village with excellent development potential. Act swiftly to secure this exceptional opportunity at Voorstehoeve 112 A and start turning your real estate ambitions into reality in a location renowned for its natural beauty and convenient proximity to major urban centres. Want to know more?
immo David vous présente ce magnifique terrain à bâtir orienté sud-ouest de 11a20ca pour la construction d’une maison quatre façades à Bekkerzeel. Directement construire selon les dernières normes énergétiques et jouir insouciant pendant des années de votre maison avec vue sur les champs valloneés de Bekkerzeel? Votre rêve peut se réaliser dans la Noterlaarsstraat. Le terrain en pente garantie une vue grandiose sur les champs et un bon drainage autour de la maison. La rue est situé dans la paix mais ne se trouve pas loin des axes routiers, le ring et le cœur dynamique de Asse qui vous offre une vaste gamme en termes de magasins, restaurants et écoles. Vous préférez savourer un peu de la culture locale? Cela peut se faire parfaitement au Centre Culturel ou lors des festivités pour le Hopduvel. Pour toute information complémentaire et les prescriptions urbanistiques, nous vous invitons de nous contacter. Want to know more?
Terrain à bâtir situé au calme à Bekkerzeel. immo David vous présente ce magnifique terrain à bâtir orienté sud-ouest de 5a75ca pour la construction d’une maison trois façades à Bekkerzeel. Directement construire selon les dernières normes énergétiques et jouir insouciant pendant des années de votre maison avec vue sur les champs valloneés de Bekkerzeel? Votre rêve peut se réaliser dans la Noterlaarsstraat. Le terrain en pente garantie une vue grandiose sur les champs et un bon drainage autour de la maison. La rue est situé dans la paix mais ne se trouve pas loin des axes routiers, le ring et le cœur dynamique de Asse qui vous offre une vaste gamme en termes de magasins, restaurants et écoles. Vous préférez savourer un peu de la culture locale? Cela peut se faire parfaitement au Centre Culturel ou lors des festivités pour le Hopduvel. Pour toute information complémentaire et les prescriptions urbanistiques, nous vous invitons de nous contacter. Want to know more?
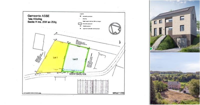
Terrain constructible mitoyen à vendre à Asse – Situation centrale ! Leemans Real Estate vous propose ce terrain constructible de 5,30 m² (Lot 1), idéalement situé dans un quartier central d'Asse. Ce terrain est idéal pour la construction d'une maison mitoyenne et allie cadre de vie agréable et excellente accessibilité. À proximité immédiate, vous trouverez des commerces, des écoles, des infrastructures sportives, les transports en commun et un accès aux principaux axes routiers. Des sentiers pédestres et cyclables sont également à proximité, contribuant à un cadre de vie confortable et de qualité. Le règlement d'urbanisme et le permis de lotir sont disponibles sur notre site web : ### Pour plus d'informations ou une visite, veuillez nous contacter à l'adresse ### ou au ### Want to know more?
This exceptional development site located at Kezeweide 81 in Mollem presents a remarkable opportunity for those seeking to build their ideal home in a tranquil yet accessible environment. Priced at €280,000, this sizeable plot of 6 ares and 47 centiares offers a generous 647 m² of land, with a depth of approximately 30 meters and a frontage of 19.4 meters, providing ample space for a bespoke residential project. The property is currently undeveloped and is available for construction upon purchase, with the flexibility to build at your own pace, as there are no obligatory deadlines or development restrictions. Its strategic location affords easy access to public transportation, with just a five-minute walk to the train station, making it exceedingly convenient for daily commuting—only 15 minutes from Jette and 30 minutes to Brussels city center—while maintaining the serenity of a peaceful, natural setting. The zoning regulations for this land are clearly defined, ensuring your building plans can be realized within established guidelines. The maximum building depth is set at 15 meters on the ground floor and 12 meters on the upper level for the main residence. The house must be set back 6 meters from the front property line, allowing for privacy and an attractive garden space. The roofline offers versatile design options, with a maximum height of approximately 5 meters to the cornice, and the allowable roof pitch ranges from 25° to 45°, giving potential homeowners significant creative freedom—flat roofs are also permitted. Importantly, the property is situated in a quiet environment, free from highways or aircraft noise, surrounded by nature including forests and walking paths, perfect for outdoor enthusiasts and those seeking tranquility away from urban hustle. Building on this plot means embracing a lifestyle that combines accessibility with peace and natural beauty. Whether you envision constructing a charming semi-open residence or another style within the permitted volumes, this land offers the perfect canvas. The absence of construction obligations means you can develop at your own pace, making it ideal for flexible planning. The surrounding environment promotes outdoor activities and relaxation, making it an attractive choice for families, professionals, or anyone eager to create their personal sanctuary close to nature but still connected to city amenities. For further information or to schedule a visit, prospective buyers are encouraged to contact us via email at ### or by phone at ### Don’t miss this unique opportunity to secure a prime piece of Mollem’s real estate landscape and turn your building plans into reality in one of the most sought-after areas near Brussels. Want to know more?
Discover an exceptional development opportunity in Zellik with this prime building plot situated on Louis De Bondtstraat R26. Priced at €215,000, this spacious parcel covers an area of 531 square meters, offering ample space for your future project. The land measures approximately 48 meters in depth and 11.2 meters in width, providing a generous footprint for constructing a single-family home or a mixed-use development within the permitted parameters. The property is currently not rented and will be available upon signing of the deed, making it an attractive option for investors or private buyers eager to develop in a thriving area. This development site is uniquely positioned in a well-connected and accessible part of Zellik, ensuring excellent transport links and proximity to essential amenities such as shops, schools, and public transportation. The zoning is designated as residential (woongebied), with specific urban planning guidelines that include a maximum building depth of 15 meters on the ground floor and 12 meters on upper levels. The building line is set at 8 meters behind the front property line, with a side setback of 3 meters to ensure privacy and compliance with local regulations. The maximum height of the building's cornice ranges between 3.20 meters and 6.50 meters, with options for flat or pitched roofs between 25° and 45°, providing flexibility in architectural design. The available urban planning regulations are accessible upon request or can be downloaded, enabling prospective buyers or developers to plan their projects with full knowledge of the guidelines. Beyond its residential potential, the site permits a variety of uses, including care housing, retail outlets, small crafts workshops, and offices for liberal professions, provided that residential use remains primary. This versatility enhances its appeal for those wishing to combine living and working spaces or to develop a small-scale commercial venture. Thanks to its central location and comprehensive zoning options, this plot presents an ideal foundation for building a contemporary family residence or an innovative mixed-use project tailored to your needs. Take the first step towards realizing your development ambitions by contacting us today for more information or to arrange a viewing. This property offers not only a smart investment but also the chance to create a personalized home in a desirable area of Zellik. Want to know more?
Discover an exceptional development opportunity in the heart of Zellik with this prime building plot listed at €215,000. Situated on Louis De Bondtstraat R26, this spacious parcel offers a total area of 526 square meters, providing ample space for the realization of your residential project. The lot is ideally located for those seeking a balanced combination of tranquil living and convenient access to urban amenities. With its strategic positioning, residents will benefit from excellent transportation links, nearby shops, schools, and public transport options, making it an ideal setting for a family home or a versatile mixed-use development. This plot is particularly suitable for building a semi-detached single-family residence, as per the local zoning regulations. The urban planning guidelines specify a maximum building depth of 15 meters on the ground floor and 12 meters on the upper level. The building line is set 8 meters behind the front property line, offering flexibility in design while maintaining neighborhood consistency. A lateral setback of 3 meters ensures privacy and light, with the roof structure options including flat or pitched roofs with angles ranging from 25° to 45°. Additionally, the zoning allows for various uses beyond purely residential, such as small commercial activities, craft workshops, and offices for liberal professions, provided that housing remains the primary function. These comprehensive regulations are available upon request or can be downloaded for further review, ensuring transparency and clarity for prospective buyers and developers. The parcel's central location in Zellik makes it an outstanding investment opportunity for those wishing to craft their ideal home or develop a project that benefits from vibrant community surroundings. Zellik’s neighborhood offers a peaceful environment while remaining close to essential amenities, making it perfect for families or investors looking for long-term growth. The land is currently not occupied, and ownership can be transferred immediately upon signing the deed. This plot is also subject to a pre-emption right, emphasizing its value within the local market. Don't miss this chance to acquire a sizable piece of land ready for development—contact Structura today at ### or via email at ### to arrange a viewing or request additional information about this promising property. Want to know more?
Vous êtes à la recherche d’un bel emplacement pour construire votre propre maison ? Ce terrain à bâtir vous offre une excellente opportunité de réaliser une habitation spacieuse, semi-ouverte, dans un environnement agréable et facilement accessible. Le terrain est situé dans un endroit calme et rural, tout en étant très central, à proximité immédiate des commerces, écoles, transports en commun, axes routiers importants et de l'autoroute cyclable. La maison que vous pouvez y construire doit être attenante à la maison existante sur la parcelle voisine (n° 21), ce qui garantit une belle unité architecturale et une harmonie dans l’aspect de la rue. La parcelle offre un volume de construction maximal de 957 m³. Au rez-de-chaussée, une profondeur de construction jusqu’à 15 mètres est autorisée, tandis qu’à l’étage, la profondeur maximale est de 12 mètres. La maison peut comporter au maximum deux niveaux, à l’exclusion de l’espace sous le toit en pente. Il est également possible de prévoir une cave, avec une profondeur maximale de 12 mètres et une hauteur de 2,5 mètres. Il est en outre permis de construire un carport accolé à l’habitation, pour un véhicule, avec une largeur maximale de 3,5 mètres et une profondeur de 7,03 mètres. Ce terrain à bâtir combine parfaitement espace et accessibilité dans un cadre rural. Intéressé ? N’hésitez pas à nous contacter pour plus d’informations ou pour planifier une visite. Want to know more?
LEEMANS IMMOBILIËN vous propose le terrain agricole suivant d'une superficie de 37 ares 65 ca. Parcelle située dans la zone VEN (voir Kravaalbos à proximité). Largeur environ 13 m - profondeur environ 273 m. Le terrain agricole est loué. Veuillez nous contacter pour obtenir des informations sur les servitudes existantes. Vous souhaitez obtenir plus d'informations sur ce terrain agricole ? -> ### ou tél. ### Want to know more?
Discover a prime development opportunity in the tranquil streets of Zellik with this exceptional building plot listed at €324,000. Situated on Jan de Keersmaeckerstraat, this expansive parcel offers a rare chance to construct a spacious family home or a custom residence tailored to your specifications. Spanning a substantial 1,630 square meters, this plot provides ample space for creativity and personalization, backed by favorable zoning classifications and environmental assessments. The lot is part of an established subdivision, offering the convenience of existing infrastructure and community amenities, while also presenting the flexibility to design within the parameters of local building regulations. The property features a buildable area at ground level of 150 square meters, with a facade width of 10 meters and a depth of 15 meters. The zoning allows for a maximum roof pitch of 45°, with the ridge oriented east-west, enabling the construction of a charming, well-proportioned residence. Notably, the lot includes a side setback zone of 10 meters on each side, ensuring optimal privacy and landscaping options. The backyard measures 25 meters deep and is oriented southwest, promising abundant sunlight exposure and ideal outdoor living space. Moreover, the allowance for a secondary building up to 40 square meters further enhances the potential for guest accommodations, a home office, or storage facilities. The maximum eaves height is set at 4.50 meters, allowing for attractive architectural design while maintaining harmony within the neighborhood. Located in a peaceful yet accessible area, this plot benefits from excellent connectivity to Brussels and surrounding municipalities. The proximity to major roads and public transport links facilitates easy commuting, making it an appealing choice for those seeking both tranquility and convenience. The absence of flood risk and environmental restrictions ensures a straightforward development process, while the non-protected status of the site allows for flexible planning options. Whether you envision a modern family home with a sunny garden or an energy-efficient custom-built residence, this development site offers the perfect foundation. Contact us today to explore this remarkable opportunity further and start turning your building plans into reality in the vibrant community of Zellik. Want to know more?
Quartier Kruipin - magnificent 586m² plot for sale with building permit: exposure: east and west at the back of the plot. A unique opportunityA magnificent building plot of ± 6 ares, ideally located in a quiet, verdant setting, with a frontage of approx. 11.5 m. The plot is sold with planning permission already approved. Want to know more?
Developing your investment portfolio or building your dream home starts with the right piece of land, and this unique development site in Asse presents an exceptional opportunity. Located at Schutstraat 33A, this expansive property is priced at €325,000 and offers a generous total area of approximately 5,072 square meters, providing ample space for various development projects. The land comprises a building plot of 17 ares and 8 centiares, coupled with an adjacent agricultural parcel of 33 ares and 64 centiares, creating a substantial domain that combines both potential residential development and agricultural possibilities. Its strategic positioning in Asse ensures a tranquil environment, with the possibility to realize a bespoke project tailored to your preferences. This development site adheres to specific zoning regulations that maximize its potential, making it an attractive choice for investors or future homeowners. The construction rules permit up to two levels, with the building line set 14 meters from the street axis; this ensures privacy and compliance with local planning standards. The site boasts a street frontage of 16.46 meters and an impressive total depth of 137 meters, allowing for flexible architectural designs and substantial outdoor space. The maximum building depth is limited to 15 meters at street level and 12 meters on upper floors, with a cornice height fixed at 4 meters. The roof slope must fall between 25° and 45°, enabling diverse roofing styles. Importantly, the land is free of leasehold and there are no obligations to build, granting you full freedom to develop according to your vision within the legal parameters. Situated in the charming municipality of Asse, this property benefits from a serene rural ambiance while maintaining excellent access to local amenities. The area is not located within a flood-prone zone, ensuring safety and peace of mind for future construction. Moreover, there are no pre-emptive rights or "as-built" certificates required, simplifying the planning process. Whether you seek to create a private residence or a small-scale development project, this site offers tremendous potential for customization. Don't miss out on this rare opportunity—contact us today at ### or via email at ### to arrange a viewing or to discuss how this distinguished property can meet your ambitions. Want to know more?
This development site is located at Kezeweide 81 in Mollem, a peaceful and scenic area that offers a tranquil environment for future homeowners. The plot encompasses a total area of 343 square meters, with a depth of approximately 30 meters and a frontage of 9.37 meters, providing ample space for constructing a semi-detached house. The property is situated in a quiet setting free from noise from highways or air traffic, and is close to natural surroundings such as forests and walking trails, making it ideal for those seeking a blend of nature and accessibility. The site is part of a subdivision with specific building regulations designed to offer flexibility and creative freedom. The maximum building depth is set at 15 meters on the ground floor and 12 meters on the upper floor, with the main building required to be set back 6 meters from the front line. The height of the building’s cornice is limited to approximately 5 meters, with an additional annex allowed up to 3 meters high. Roof design options are open within the permitted slope range of 25° to 45°, including the possibility of flat roofs, allowing for personalized architectural choices within the prescribed volume limits. Located just a five-minute walk from the Mollem train station, this property provides excellent connectivity to nearby Brussels and other major areas, with travel times of around 15 minutes to Jette and 30 minutes to central Brussels. There are no building obligations, so you can develop the property at your own pace. The site’s favorable location, combined with its quiet environment and natural surroundings, makes it a promising opportunity for those looking to build a customized home in a serene setting. For more information, you can contact us via email or phone. Want to know more?
This property is a spacious building plot located in Asse, with a total area of 12 ares and 73 ca (1,273 square meters). The land is situated along Edingsesteenweg zn, close to the town center, offering convenient access to local amenities and services. The parcel is designated for open construction, providing ample space to realize a customized residential project. The plot features a buildable footprint of 165 square meters on the ground floor, with a frontage of 11 meters and a depth of 15 meters. The upper level allows for an additional 132 square meters, measuring 11 meters wide and 12 meters deep. The site includes side setbacks of 8 meters on the left and 3 meters on the right, with a west-facing backyard that offers potential for outdoor living and privacy. The maximum building height permitted is 6 meters, providing options for a two-story residence. The land benefits from a current urban planning certificate valid until February 2027, which simplifies the development process. It is not located within a flood-prone or protected area, and there are no subdivision permits granted or restrictions regarding environmental or heritage protection. This plot presents an excellent opportunity for buyers seeking a sizeable piece of land with flexible building possibilities in a well-connected location near Brussels. Want to know more?
This development site is located on Gentsesteenweg 213 in Asse, offering a total land area of approximately 358 square meters. The property is currently undeveloped, with a frontage of 6.20 meters and a depth of around 30 meters, providing ample space for two new residential units. The land is divided into two plots of 174.70 m² and 185.20 m², each designed to accommodate a single-family home with its own private garden and terrace. The approved environmental permit allows for the construction of two semi-detached houses, each featuring a maximum building height of 11.70 meters and a roof ridge height of 6.90 meters. Each house is planned to have an interior garage and a private outdoor space, with the footprints designed to be up to 12.50 meters deep on the ground floor and 10 meters on the first floor. The gardens include terraces of 19 m², with depths of approximately 11 to 17 meters, providing outdoor living options for future residents. Located in Asse, the property benefits from a strategic position outside flood-prone areas and includes a pre-emption right for some buyers. It is not currently rented and will be available upon signing of the deed. This site presents an attractive opportunity for investors or those seeking to develop a private residence in a well-established area, with the relevant permits available upon request for review. Want to know more?