Land for sale - Asse RBJ23120 Option

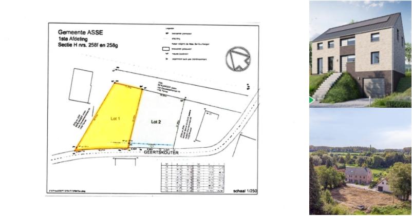
Geertskouter lot 1 1730 Asse

225 000 €

  • 450 m² Land Surface
Geertskouter lot 1 1730 Asse

Are you searching for Land for sale - Asse?

Receive an email as soon as there's a new property available!

Create an alert

Description

Ce terrain est situé dans un endroit pittoresque, rural et très calme offre une vue imprenable !
La largeur côté rue est de +/- 22m.
Il y a possibilité de construire une maison 4 façades en respectant le mesures suivants;
  • bande de jardin avant: 5m à 5,5m à partir de la ligne de construction
  • jardin arrière: min. 10m de profondeur
  • garder 3m de distance par rapport au parcelles avoisinantes
Finalement, des places de parking sur le terrain sont à prévoir Show all Show less

Financial details

  • Price: 225 000 €

Services


More information

General info

Availability

On contract

Outdoor description

Total land surface

450 m²

Town planning and environmental risks

P-Score

A

Flooding Area type

(information not available)

Demarcated flooding area

(information not available)

Immovlan.be displays the data received from the seller. If some important or obligatory data is missing it is because they were not provided to us.

Immovlan ref.: RBJ23120 Seller's ref.: 5704143 Report fraud

Points of interest

Nurseries

Hoppa

1.6 km 6' 1.6 km 4' 1.5 km 19' 1.6 km 19'

Preschools

Go! Basisschool Vijverbeek

1.7 km 6' 1.7 km 4' 1.6 km 21' 1.7 km 21'

Elementary schools

Go! Basisschool Vijverbeek

1.7 km 6' 1.7 km 4' 1.6 km 21' 1.7 km 21'

High schools

Go! Middenschool Vijverbeek

1.9 km 16' 1.9 km 4' 1.4 km 22' 1.9 km 22'

Motorways

A10 / E40: Brussels - Aalst - Gent - Brugge - Oostende

2.5 km 4'

R0 Brussels ring

8.2 km 11'

Bus

De Lijn - 215 - Asse - Asbeek - Asse Terheide

430 m 5'

De Lijn - 215 - Asse Terheide - Asbeek - Asse

459 m 6'

De Lijn - 213 - (Metro Simonis -) Asse - Ternat - Aalst

1.2 km 14'

Train stations

Asse

3.2 km 11' 3.2 km 6' 2.7 km 28' 3.2 km 38'

Airports

Brussels Airport

26.3 km 1º 55' 29.1 km 22' 0 m 0''

Charging stations

Gemeente Asse

2.7 km 5'

Car-sharing system

Cambio - Gemeenteplein Asse

2.6 km 10' 2.2 km 29' 2.6 km 32'

Supermarkets

Albert Heijn - Ternat

2.6 km 11' 2.6 km 5' 2 km 25' 2.5 km 30'

Lidl Asse

3 km 24' 2.8 km 5' 2 km 30' 2.7 km 32'

Colruyt Asse

3 km 24' 3.1 km 6' 2 km 31' 3 km 35'

Amusement parks

Planétarium De Bruxelles

16.6 km 14'

Museums

Musée Du Design Brussels

16.4 km 14'

Activities

Librairies Royales Kbr

19.4 km 22'

Castles

Porte De Hal

19.3 km 21'

Golfs

Golfclub De Kluizen

8.8 km 13'

Education

Go! Middenschool Vijverbeek is the most convieniently located high school: just 22 minutes away as a pedestrian.You can find a convienient nursery: "Hoppa", 19 minutes away by foot.There is a nearby preschool and elementary school: "Go! Basisschool Vijverbeek", 6 minutes away by bike.

Public transports

This property is served with several bus lines such as De Lijn - 215 - Asse - Asbeek - Asse Terheide with a stop reachable in fewer than 5 minutes as a pedestrian, De Lijn - 215 - Asse Terheide - Asbeek - Asse with a stand 6 minutes’ walk away, De Lijn - 213 - (Metro Simonis -) Asse - Ternat - Aalst with a stop reachable in fewer than 14 minutes as a pedestrian.

Transports

The A10 / E40 (Brussels - Aalst - Gent - Brugge - Oostende) can be reached in 4 minutes, and the slip road to R0 (Brussels ring) is just a 11 minute drive away.The nearest airport is Brussels Airport and is reachable by car in 22 minutes.In fewer than 5 minutes, you can find a charging station ("Gemeente Asse") for your electric car.A SNCB station ("Asse") is located 11 minutes away by bike, or 6 minutes by car.Thanks to the "Cambio - Gemeenteplein Asse" station, you can rent a car when you need one, in fewer than 32 minutes walk.

Tourism

The "Golfclub De Kluizen" golf course is 13 away.It takes 14 minutes to reach the museum "Musée Du Design Brussels".There is an amusement park 14 minutes away by car: "Planétarium De Bruxelles".An interesting activity to do in the vicinity: "Librairies Royales Kbr" within 22 minutes drive.Want to discover the castle "Porte De Hal"? It is a 21 minutes drive away.

Shopping

You have the choice between several nearby supermarkets: "Albert Heijn - Ternat" (30 minutes by foot or 5 minutes by car), "Lidl Asse" (5 minutes by car), "Colruyt Asse" (6 minutes by car).

Nearby cities

Only 22 minutes are needed to reach Dendermonde with your car. Beveren is 44 minutes away by car. In 39 minutes you can reach Sint-Niklaas. It takes about 32 minutes to reach Mechelen with your car.

Show all Show less