Grond te koop - Hever

1 zoekertjes (1 - 1)
485 000 €

3191 Hever

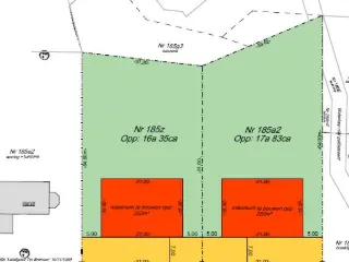
Bouwgrond voor open bebouwing op rustige ligging te Boortmeerbeek (Lisdoddeweg). Rustig gelegen perceel bouwgrond (lot 16A) met aanpalend tuingrond (lot 16B) en achtergelegen terrein weiland (achter lot 15B en 16B) op totaal terrein van 3973m², geschikt voor het oprichten van een vrijstaande eengezinswoning in open bebouwing, gelegen aan de Lisdoddeweg (naast huisnr 11) te Boortmeerbeek. Volgens de geldende stedenbouwkundige voorschriften is het toegelaten een eengezinswoning op te richten met: Maximale bouwdiepte: 12 m op het gelijkvloers 12 m op de verdieping max. kroonlijsthoogte: 4,5m - plat dak of zadeldak met dakhelling tussen de 25° en 50° Zijdelingse bouwvrije stroken: minimum 3 m Bouwlijn: 6 m achter de rooilijn Per kavel is één woongebouw toegelaten. Complementaire bedrijvigheid (vrij beroep) is mogelijk binnen de woning . De gevels dienen te worden uitgevoerd in degelijke gevelmaterialen. De garage kan geïntegreerd worden in het hoofdgebouw of afzonderlijk worden opgericht volgens de geldende voorschriften . Deze bouwgrond is ideaal voor wie rustig wil wonen met vlotte verbinding naar invalswegen en voorzieningen. Voor meer informatie of een afspraak gelieve onze vastgoedverantwoordelijke te contacteren op het nummer ### of mail naar ### . Meer weten?

3973 160 m Diepte terrein
Contacteer
Details
E-mail
Bellen

We hebben slechts een paar zoekertjes gevonden die overeen komen met uw zoekcriteria.

Maak een e-mail alert om op de hoogte te blijven van nieuwe zoekertjes die aan uw criteria voldoen!


Hieronder zijn nog enkele interessante adressen te vinden in de buurt van Hever (3191).

320 000 €

2820 Bonheiden

Bouwgrond van 12 are met perceelsbreedte van 24 meterZeer rustig en residentieel gelegen bouwgrond van 12 are voor open bebouwing - achteraan palende aan groene omgeving (bosgebied).Gunstig gelegen op 1,5 km van Imelda ziekenhuis en op 1,9 km van het centrum.Breedte 24 meter - diepte 50 meter.Oriëntatie: oost.Geen bouwverplichting.Bouwvoorschriften ### .pdfPlat dak: aangezien er verschillende woningen zijn met een plat dak in de omgeving (en in de verkaveling zelf) is het eventueel mogelijk om een afwijking aan te vragen om met een plat dak te bouwen.Stedenbouwkundige vastgoedinfo: woongebied met landelijk karakter en achterkant van perceel enkele meters in bosgebied - verkavelingsvergunning - geen voorkooprecht ruimtelijke ordening - geen rechterlijke herstelmaatregel of bestuurlijke maatregel opgelegd.Geen risicozone voor overstromingen.Perceelscore: - pluviaal (hevige neerslag) perceelscore C kleine kans op overstromingen en achteraan het perceel perceelscore D- fluviaal (waterlopen): perceelscore D middelgrote kans op overstromingenAdres: Bonheiden, Vijverstein 7. Meer weten?

1200 50 m Diepte terrein 24 m Breedte terrein
Contacteer
Details
E-mail
Bellen
+32 15 52 80 20
195 000 €

2820 Rijmenam

Op een uitstekende locatie te Rijmenam bevindt zich deze bouwgrond voor open bebouwing op een perceel van 482m². U geniet hier van een rustige en groene ligging in de nabijheid van winkels, scholen en het openbaar vervoer. Deze bouwgrond biedt tal van stedenbouwkundige mogelijkheden. De render geeft een weergave van een mogelijke woning volgens de geldende bouwvoorschriften conform de verkaveling.Bouwvoorschriften:- Bouwgrond voor open bebouwing- Enkel eengezinswoning (met inbegrip van zorgwoning toegelaten)- Functies complementair aan het wonen, zoals kantoorfunctie, vrij beroep, dienstverlening, zijn toegelaten- Max. kroonlijsthoogte is 6,5m,- Keuze tussen plat of hellend dak (dakhelling tussen 35° en 50°)- Totale bouwdiepte 17m- Inpandige garage is toegelaten- Kelder is toegelatenContacteer ons voor meer informatie op ### of via ### Bijzonderheden : - Perceel = 482m²- Open bebouwing- Uitstekende ligging Meer weten?

482
Contacteer
Details
E-mail
Bellen
+32 468 05 05 05
310 000 €

2820 Bonheiden

Voor meer info of een gratis waardebepaling van je eigen woning: ### of ### . Voor een volledige tekst: ### Op zoek naar een ruime bouwgrond voor een open bebouwing in een rustige en groene omgeving? Aan de Doornlaarstraat 100 in Rijmenam, op de grens met Bonheiden en Keerbergen, vindt u deze mooie bouwgrond van 1.457 m². Rustig en residentieel gelegen Gelegen op de grens van Rijmenam, Bonheiden en Keerbergen Centrum van Keerbergen op slechts 2,2 km Vlotte verbinding naar omliggende gemeenten Winkels, scholen, restaurants en supermarkten in de nabije omgeving Totale oppervlakte: 1.457 m² (14a57ca) Perceelbreedte: ca. 30 meter Geschikt voor het bouwen van een open bebouwing Mogelijkheid tot het oprichten van een bijgebouw tot 50 m² Veel ruimte, privacy en bouwvrijheid Eengezinswoning in open bebouwing Maximaal 2 woonlagen (gelijkvloers + verdieping) Een aan huis gebonden beroep mag uitgeoefend worden met een grootte van maximaal 30% vd totale vloeroppervlakte Kelder toegestaan Bouwdiepte gelijkvloers en verdieping: min. 8 m – max. 20 m Gevelbreedte: min. 8 m en max. 2/3 van de perceelsbreedte Afstand zijgevels tot perceelsgrenzen: min. 3 m Kroonlijsthoogte max. 7 m, nokhoogte max. 11 m Bijgebouw mogelijk tot 50 m² Geen stedenbouwkundige vergunning uitgereikt Geen verkavelingsvergunning Geen stedenbouwkundige verplichtingen Geen voorkooprecht Niet opgenomen in inventaris van leegstaande bedrijfsruimten Geen rooiplan of herstelmaatregelen Niet gelegen in overstromingsgebied (P- score klasse B) Industriegebied / woongebied met landelijk karakter Een uitzonderlijk ruime bouwgrond op een gegeerde en rustige locatie, ideaal voor wie landelijk wil wonen met alle voorzieningen binnen handbereik. De perfecte basis om uw droomwoning volledig naar eigen wensen te realiseren. Meer weten?

1457
Contacteer
Details
E-mail
Bellen
+32 16 84 96 84
95 000 €

2820 Bonheiden

Idyllische paardenweide / bosgrond in Bonheiden - 5.956 m² Droomt u van rust, natuur en ruimte? In het groene en landelijke Bonheiden bieden wij deze prachtige paardenweide / bosgrond aan, met een totale oppervlakte van maar liefst 5.956 m². Een unieke plek waar stilte, natuur en privacy samenkomen. De grond is ideaal voor het houden van paarden, recreatief gebruik of voor wie op zoek is naar een waardevolle investering in een natuurlijke omgeving. Omgeven door groen en met een vlotte bereikbaarheid combineert dit perceel het beste van twee werelden: landelijke charme en nabijheid van het dorpscentrum en belangrijke verbindingswegen. Een zeldzame kans voor natuurliefhebbers, paardenliefhebbers of investeerders die op zoek zijn naar een stukje ongerepte rust in het hart van Bonheiden. Meer weten?

5956
Contacteer
Details
E-mail
Bellen
+32 15 22 23 44
109 700 €

1981 Hofstade

Ben je op zoek naar een goed gelegen perceel grond in Zemst, en toch vlakbij Mechelen en alle invalswegen? Dan is dit misschien wat je zoekt. Perceel in agrarisch gebied geschikt voor paarden, akkerbouw, vrijetijdsbestedling,... Afmetingen (bij benadering: 42m breed en 145m diep) Contacteer ons vandaag nog voor meer info of om samen ter plaatste te gaan ### of via mail ### Meer weten?

5180
Contacteer
Details
E-mail
Bellen
+32 15 65 50 05
300 000 €

2812 Muizen

Bouwgrond te koop 858 m² voor open bebouwing Deze bouwgrond biedt een uitstekende basis voor het creëren van uw droomhuis, met alle nodige voorzieningen en een ideale ligging. Voor gedetailleerde stedenbouwkundige informatie verwijzen we naar de gemeentelijke verordening: ### Alle opgegeven maten zijn ter indicatie. Meer weten?

858 40 m Diepte terrein
Contacteer
Details
E-mail
Bellen
+32 15 79 46 46
425 000 €

3140 Keerbergen

Bouwgrond van 18 are met perceelsbreedte 25 meterRustig en residentieel gelegen perceel bouwgrond van 18 are 22 ca voor open bebouwing. Zuid-west georiënteerd. Vlakbij wandel-natuurgebied Kruisheide gelegen.Oppervlakte: 18 are 22 ca Breedte: vooraan 25m - achteraan 34,8m. Diepte: gemiddeld 62m. Kroonlijsthoogte maximum 3 meter en dakhelling tussen 15° en 45°.Stedenbouwkundige info in aanvraag (woonpark - geen voorkooprecht ruimtelijke ordening - verkavelingsvergunning) - niet overstromingsgevoelig.Adres: Keerbergen, Kruisheide, links van nr. 22. Meer weten?

1822
Contacteer
Details
E-mail
Bellen
+32 15 52 80 20
297 000 €

3140 Keerbergen

Meer info of uw afspraak maken kan via ### of via ### Op zoek naar een leuke bouwgrond in eigen regio? Rustig wonen in een gezinsvriendelijke en landelijke omgeving? Deze bouwgrond is gelegen in een rustige straat op fietsafstand van het centrum van Keerbergen. De groene omgeving rond de Dijle is op wandelafstand terug te vinden. Dit westelijk georiënteerd perceel heeft een totale grootte van 9a93ca, een diepte van 54 meter en de breedte van het perceel bedraagt om en bij de 16,5 meter. Het perceel is bestemd voor het bouwen van een open bebouwing. Meer info of uw afspraak maken kan via ### of via ### ! Meer weten?

993 54 m Diepte terrein
Contacteer
Details
E-mail
Bellen
+32 16 84 96 84
240 000 €

3140 Keerbergen

Op een uitstekende locatie in een groene omgeving te Keerbergen bevindt zich deze bouwgrond voor open bebouwing op een perceel van 935m². U bevindt zich hier in een rustige, doodlopende straat tussen de dorpskernen van Putte en Keerbergen en geniet van een uitstekende bereikbaarheid nabij scholen, winkels, het openbaar vervoer en belangrijke invalswegen. Deze bouwgrond biedt tal van stedenbouwkundige mogelijkheden. De render geeft een weergave van een mogelijke woning volgens de geldende bouwvoorschriften conform de verkaveling.- Bouwgrond voor open bebouwing- Enkel eengezinswoning (met inbegrip van zorgwoning toegelaten)- Functies complementair aan het wonen, zoals kantoorfunctie, vrij beroep, dienstverlening, zijn toegelaten- Max. kroonlijsthoogte is 6m,- Dakhelling tussen 25° en 55°- Een garage/bergplaats is toegelaten binnenContacteer ons voor meer informatie op ### of via ### Bijzonderheden : - Open bebouwing- Groene omgeving- Ruim perceel = 935m² Meer weten?

935
Contacteer
Details
E-mail
Bellen
+32 468 05 05 05
590 000 €

2800 Mechelen

Karaktervolle ontwikkelingskans aan de rand van Mechelen – met positief advies voor appartementen én ééngezinswoningen! Aan de rand van Mechelen, op de Koning Albertstraat 30-32, bevindt zich deze interessante projectgrond met tal van mogelijkheden en een oppervlakte van 749 m². Het terrein omvat momenteel onder andere een voormalige school, garages en een magazijn – elementen die karakter en uitstraling geven aan een toekomstig project. De Stad Mechelen heeft inmiddels een positief stedenbouwkundig advies verleend voor zowel de ontwikkeling van 6 à 8 appartementen als voor ééngezinswoningen. Dit biedt ontwikkelaars en investeerders extra zekerheid én flexibiliteit bij de verdere uitwerking van het project. Dankzij de gunstige, residentiële ligging in combinatie met een vlotte bereikbaarheid vormt dit een uitstekende opportuniteit. De nabijheid van de E19 zorgt voor een snelle verbinding richting Antwerpen en Brussel, terwijl het prachtige Natuurdomein Rosendaal zich op wandelafstand bevindt – ideaal voor wie waarde hecht aan rust en groen. Een extra troef: het perceel bestaat kadastraal uit twee afzonderlijke loten, wat maakt dat een gesplitste verkoop perfect mogelijk is. De eigenaar staat open voor een gedeeltelijke verkoop – bijvoorbeeld als bouwgrond voor één of meerdere woningen – afhankelijk van de interesse van de koper. Bovendien staat ook de linkerbuurman (Koning Albertstraat 34) open voor verkoop, waardoor de projectgrond met circa 263 m² kan worden vergroot en het geheel de voordelen van een hoekperceel verkrijgt. Een belangrijk kenmerk is de beschermde voorgevel van het oude schoolgebouw, die behouden moet blijven. Dit vormt echter geen beperking, maar juist een meerwaarde: de historische gevel kan een sterk architecturaal uitgangspunt zijn voor een nieuw woonproject met uitstraling. Troeven op een rij: Projectgrond aan de rand van Mechelen Positief advies van de Stad Mechelen voor 6 à 8 appartementen Positief advies voor ontwikkeling van ééngezinswoningen 6% btw-regeling mogelijk Gebouw met geschiedenis: voormalige school Beschermde voorgevel te behouden – unieke architecturale troef Kadastraal opgedeeld in twee percelen – gesplitste verkoop mogelijk Mogelijkheid tot uitbreiding met Koning Albertstraat 34 (+/- 263 m²) – hoekperceel Goede ligging met vlotte bereikbaarheid, inclusief uitstekende verbinding naar de E19 Op wandelafstand van natuurdomein Rosendaal – groene omgeving dichtbij Flexibele invulling – veel bespreekbaar Richtprijs per unit, prijsvoorstellen welkom Voor meer info of een bezoek ter plaatsen? Contacteer Gino Haeck ### ### Meer weten?

749 38 m Diepte terrein 18 m Breedte terrein
Contacteer
Details
E-mail
Bellen
+32 3 211 06 11
375 000 €

1910 Kampenhout

TE KOOP: Exclusieve bouwgrond met vergunning gelegen in de prestigieuze Sparrendreef – Kampenhout Adres: Sparrendreef 7, 1910 Kampenhout Perceeloppervlakte: 1.958 m² | Vraagprijs: €375.000 In een van de meest begeerde en residentiële lanen van Kampenhout – de Sparrendreef – presenteren wij u met trots deze uitzonderlijke achterliggende bouwgrond op nummer 7. Een zeldzame kans voor wie op zoek is naar ruimte, luxe en absolute privacy, verscholen in het groen. Dit royaal perceel, omgeven door prachtige volwassen bomen, creëert een uniek gevoel van rust en beschutting. De natuurlijke begroeiing waarborgt een uitzonderlijke mate van privacy en vormt het ideale decor voor het bouwen van een exclusieve villa met een gevelbreedte van 22,75 meter en een bouwdiepte van 14,78 meter, gespreid over twee verdiepingen. De potentiële woning biedt een indrukwekkende bewoonbare oppervlakte van +- 500 m², perfect voor grote gezinnen of voor vrije beroepers zoals advocaten, notarissen, artsen, boekhouders, enz. Troeven van deze bouwgrond: • Prachtige, groene locatie in een exclusieve wijk • Uitzonderlijke privacy door de volwassen bomen rondom het perceel • Ruime bouwmogelijkheden met een bewoonbare oppervlakte van +- 500 m² • Reeds opgemaakte architectenplannen, de helft van de architectkosten zijn reeds voldaan. De architect is bereid om verder te werken en biedt volledige opvolging van A tot Z. U heeft echter altijd de vrijheid om met een andere architect in zee te gaan, mocht u dat wensen. • Direct beschikbaar bij akte • Vraagprijs: €375.000 Deze bouwgrond biedt de ideale combinatie van luxe, rust en privacy, op een toplocatie in Kampenhout. Dichtbij belangrijke verbindingswegen en voorzieningen, maar toch volledig omgeven door natuur. Zin om deze unieke locatie zelf te ontdekken? Neem vandaag nog contact op met Home Consult voor meer informatie of om een persoonlijke bezichtiging in te plannen. Wij helpen u graag verder! Meer weten?

1958
Contacteer
Details
E-mail
Bellen
+32 2 731 07 07
199 000 €

3150 Haacht

Voor meer informatie of inzage in de verkavelingsvoorschriften, neem contact op via ### of via ### . Bent u op zoek naar een bouwgrond voor een halfopen bebouwing in een rustige straat in Haacht? Dan is deze bouwgrond een uitstekende opportuniteit! De bouwgrond is gelegen in een rustig straatje, maar wel op wandelafstand van het centrum van Haacht. Naast deze bouwgrond staat er nog een bouwgrond van dezelfde grootte te koop. De P-score is voor beide bouwgronden A (niet-overstromingsgevoelig). Achteraan beide bouwgronden bevindt zich nog - indien gewenst - een aangrenzend stuk landbouwgrond van 333 m² (20.000 euro). Bent u benieuwd naar deze bouwgrond? Neem dan snel contact op! Meer weten?

611 50 m Diepte terrein
Contacteer
Details
E-mail
Bellen
+32 16 84 96 84
199 000 €

3150 Haacht

Voor meer informatie of inzage in de verkavelingsvoorschriften, neem contact op via ### of via ### . Bent u op zoek naar een bouwgrond voor een halfopen bebouwing in een rustige straat in Haacht? Dan is deze bouwgrond een uitstekende opportuniteit! De bouwgrond is gelegen in een rustig straatje, maar wel op wandelafstand van het centrum van Haacht. Naast deze bouwgrond staat er nog een bouwgrond van dezelfde grootte te koop. De P-score is voor beide bouwgronden A (niet-overstromingsgevoelig). Achteraan beide bouwgronden bevindt zich nog - indien gewenst - een aangrenzend stuk landbouwgrond van 333 m² (20.000 euro). Bent u benieuwd naar deze bouwgrond? Neem dan snel contact op! Meer weten?

611 50 m Diepte terrein
Contacteer
Details
E-mail
Bellen
+32 16 84 96 84
425 000 €

3140 Keerbergen

Wij hebben het genoegen deze prachtige en exclusieve bouwgrond te koop aan te bieden, gelegen in een uiterst residentiële en rustige omgeving. De ligging is ronduit subliem: op een boogscheut van het handelscentrum en met een vlotte verbinding naar Leuven, Brussel, Mechelen en Antwerpen, waar rust en bereikbaarheid perfect hand in hand gaan. Deze bouwgrond bestemd voor open bebouwing is gesitueerd op een ruim en mooi perceel van maar liefst 2.722 m² (27a22ca) en geniet van een aangename oriëntatie, ideaal voor het realiseren van een hedendaagse droomwoning met maximale lichtinval en privacy. De straatbreedte van dit perceel bedraagt 47,8 m en de diepte maar liefst 76,55 m, wat uitzonderlijke bouwmogelijkheden biedt en een optimale inplanting toelaat. Dankzij de uitzonderlijke ligging en het royale perceel biedt deze bouwgrond tal van mogelijkheden voor wie op zoek is naar comfortabel en kwalitatief wonen in een van de meest gegeerde buurten, maar is ze eveneens uitermate geschikt als waardevaste vastgoedbelegging met mooi toekomstpotentieel. Kortom, een absolute buitenkans voor wie hier zijn bouwdromen wil waarmaken. Voor snelle beslissers. Neem vandaag nog contact met ons op. Meer weten?

2722 77 m Diepte terrein
Contacteer
Details
E-mail
Bellen
+32 16 41 41 00
99 000 €

1980 Zemst

BEZOEK PAVIMMO.BE VOOR MEER INFORMATIE OF HET MAKEN VAN EEN AFSPRAAK Ref: 86730940 Gelegen in Zemst, langs een vlot toegankelijke steenweg, bevindt zich dit niet-bouwbare perceel van ongeveer 2.000 m² in een bijzonder groene en goed bewaarde omgeving. Het perceel ligt in een wijk die uitsluitend bestaat uit vrijstaande woningen en is gelegen tegenover landbouwgrond, wat zorgt voor een open uitzicht en een rustige omgeving zonder directe inkijk. Stedenbouwkundige bestemming Volgens het gewestplan is het perceel gelegen in een natuurreservaat met wetenschappelijke waarde, behorend tot de groene zones. Deze zones zijn bestemd voor: - behoud, - bescherming, - en herstel van het natuurlijk milieu. Natuurgebieden van wetenschappelijk belang moeten in hun oorspronkelijke staat behouden blijven omwille van hun wetenschappelijke en educatieve waarde. Toegelaten gebruik: In dit type zone is geen bebouwing toegestaan. Uitsluitend toegelaten zijn: werken en activiteiten die noodzakelijk zijn voor de actieve of passieve bescherming van het gebied, beheerswerken in het kader van het behoud, de bescherming en het herstel van het natuurreservaat. Troeven : Zeldzame en beschermde natuurlijke omgeving Rustige ligging ondanks nabijheid van een steenweg Open zicht op landbouwgronden Kwalitatieve residentiële buurt Interessant voor milieuorganisaties, verenigingen of projecten rond ecologisch beheer Geïnteresseerd? Contacteer ons nu voor meer informatie en het plannen van een bezoek! PAVIMMO – ### – ### ONZE ERVARING IN DIENST VAN UW EISEN. Meer weten?

2000
Contacteer
Details
E-mail
Bellen
+32 2 646 61 22
265 000 €

3140 Keerbergen

Bouwgrond voor open bebouwing – Keerbergen (Bakestraat) Ontdek deze prachtige bouwgrond van 1.157,8 m² in de rustige en gegeerde Bakestraat te Keerbergen. Deze toplocatie biedt niet alleen een uitstekende woonomgeving, maar ook een prachtig uitzicht op agrarisch gebied aan de achterzijde – ideaal voor wie houdt van ruimte, rust en natuur. Troeven: • Perceel van 1.157m² geschikt voor open bebouwing • Achteraan vrij uitzicht op agrarisch gebied • Rustige, residentiële ligging met weinig verkeer • Goede oriëntatie en vlotte verbinding met het centrum van Keerbergen, winkels en scholen Een unieke kans om uw droomwoning te realiseren op een ruim en zonnig perceel in een groene omgeving. Meer weten?

1158 74 m Diepte terrein
Contacteer
Details
E-mail
Bellen
+32 3 361 00 03
220 000 €

3140 Keerbergen

Op een uitstekende locatie te Keerbergen bevindt zich deze bouwgrond van 969 m² voor een open bebouwing. U geniet hier van een rustige en groene ligging in de nabijheid van winkels, scholen en het openbaar vervoer. Deze bouwgrond biedt tal van stedenbouwkundige mogelijkheden. De render geeft een weergave van een mogelijke woning volgens de geldende bouwvoorschriften conform de verkaveling.Bouwvoorschriften:- Bouwgrond voor open bebouwing- Enkel eengezinswoning (met inbegrip van zorgwoning toegelaten)- Functies complementair aan het wonen, zoals kantoorfunctie, vrij beroep, dienstverlening, zijn toegelaten.- Bouwdiepte max. 16 m.- Max. kroonlijsthoogte is 5,8 m.- Garage is toegelaten.- Zonnepanelen zijn toegelaten.Dit is een uitstekende opportuniteit als u op zoek bent naar een bouwgrond voor een open bebouwing te Keerbergen. Contacteer ons voor meer informatie op ### of neem een kijkje op ### Bijzonderheden:- Perceel = 969 m²- Open bebouwing- Uitstekende ligging Meer weten?

969
Contacteer
Details
E-mail
Bellen
+32 468 05 05 05
319 000 €

3140 Keerbergen

Residentieel gelegen bouwgrond van 15 are voor open bebouwing nabij golf- en meerdomeinRustig en residentieel gelegen bouwgrond van 15 are voor open bebouwing. Gelegen vlakbij golf-en meerdomein, dichtbij school en openbaar vervoer.Zuid tot zuid-oost georiënteerd.Maximum bebouwbare oppervlakte: 250m². Afmetingen: circa 25m x 59m50.Kroonlijsthoogte maximum 6m of 6m50 bij plat dak.Maximaal 2 bewoonbare niveau's.Goedgekeurde verkaveling. Geen bouwverplichting.Opmetingskosten ten laste van koper.Adres: Bollostraat rechts van nr. 13 (lot 1).Plannen en voorschriften op ### .php?item=b&sorting=&ref=10599Stedenbouwinfo: woonpark = residentieel woongebied - verkavelingsvergunning - geen voorkooprecht - geen rechterlijke herstelmaatregel of bestuurlijke maatregel opgelegd. Perceelscore A. Geen risicozone voor overstromingen Meer weten?

1500
Contacteer
Details
E-mail
Bellen
+32 15 52 80 20
365 000 €

3140 Keerbergen

Residentieel gelegen bouwgrond van 31a10ca voor open bebouwing met private toegangsweg nabij golf- en meerdomeinRustig en residentieel gelegen bouwgrond van 31a10ca met private toegangsweg.Gelegen vlakbij golf-en meerdomein, dichtbij school en openbaar vervoer.Maximum kroonlijsthoogte: maximum 3,5m = verdieping onder dakhelling te voorzien.Maximum bebouwbare oppervlakte: 250m². Afmetingen: circa 60m x 46m + toegangsweg.Goedgekeurde verkaveling. Geen bouwverplichting.Opmetingskosten ten laste van koper.Adres: Bollostraat rechts van nr. 13 (lot 2).Stedenbouwinfo: woonpark = residentieel woongebied - verkavelingsvergunning - geen voorkooprecht - geen rechterlijke herstelmaatregel of bestuurlijke maatregel opgelegd. Perceelscore A. Geen risicozone voor overstromingen Meer weten?

3110
Contacteer
Details
E-mail
Bellen
+32 15 52 80 20