Grond te koop - Horebeke

1 zoekertjes (1 - 1)
182 500 €

9667 Horebeke

Deze grond is gelegen in Vrijsbeke te Horebeke in woongebied met landelijk karakter en geniet van een landelijke en rustige omgeving.Het perceel heeft een totale oppervlakte van maar liefst 805m². Met een straatbreedte van 16,07 meter en een diepte van 50 meter biedt deze ruime grond een uitstekende kans om uw droomhuis te realiseren. De ligging van deze bouwgrond is zeer gunstig. Gelegen in een rustige straat maar dankzij de goede bereikbaarheid een vlotte verbinding naar Oudenaarde, Zwalm, Brakel, etc. U kunt dus genieten van het beste van twee werelden: een rustige omgeving en tegelijkertijd de nabijheid van belangrijke voorzieningen. Neem gerust contact op voor meer informatie om een goed beeld te krijgen van de mogelijkheden en de voorschriften van deze grond. Geen bouwverplichting of dergelijke. Neem contact op met Vastgoed Lietaer via ### of ### Enkel een schriftelijk aanvaard bod door de verkopers resulteert in een verkoop of enige verbintenis. Meer weten?

805
contacteer
details
E-mail
Bellen

We hebben slechts een paar zoekertjes gevonden die overeen komen met uw zoekcriteria.

Maak een e-mail alert om op de hoogte te blijven van nieuwe zoekertjes die aan uw criteria voldoen!


Hieronder zijn nog enkele interessante adressen te vinden in de buurt van Horebeke (9667) + Deelgemeenten.

125 000 €

9700 Oudenaarde

Bent u op zoek naar de perfecte locatie om uw droomwoning te realiseren? Dan biedt dit mooie perceel bouwgrond van 1043m² in het landelijke Mater een unieke kans. Ideaal voor het oprichten van een halfopen bebouwing op een groene en rustige locatie met prachtig open zicht achteraan. Kenmerken van het perceel: Oppervlakte: 10a43ca Straatbreedte: 9 meter Diepte: 57 meter Rustige ligging met groene vergezichten Uitstekende bereikbaarheid Geniet van de rust van het platteland zonder in te boeten aan comfort. Winkels, scholen, openbaar vervoer en belangrijke invalswegen bevinden zich op een boogscheut. Bouwvoorschriften: Max. bouwdiepte: 15 m (gelijkvloers), 12 m (verdieping) Max. kroonlijst- en nokhoogte: 6 m Overdekte parkeerplaatsen verplicht binnen de bouwzone Zijtuinstroken moeten bouwvrij blijven Inplanting conform verkavelingsplan Bouwmaterialen dienen in harmonie te zijn met de omliggende bebouwing Waarom kiezen voor dit perceel? Rustige, groene omgeving Goede verbindingen Ruime bouwmogelijkheden Harmonieuze verkaveling Prachtig achterliggend uitzicht Een uitgelezen kans om te bouwen in het pittoreske Mater ,waar rust, natuur en bereikbaarheid hand in hand gaan. Heeft u interesse of vragen? Neem gerust contact op met ons kantoor voor meer informatie of een plaatsbezoek. Meer weten?

607
contacteer
details
E-mail
Bellen
+32 54 34 34 34
199 500 €

9700 Oudenaarde

OEDGELEGEN GROND van 1585m2 te OUDENAARDE! ZICHT OP GROEN! ZUID-OOSTgericht! Geen bouwverplichting! Ideaal voor VRIJ BEROEP in combinatie met wonen! Straatbreedte: 20m, Diepte: 75m, bebouwbare oppervlakte: 15m x 12,36m dus 185,4m2. Bezoek na afspraak met IMMO BEGUIN: ### Meer weten?

1585
contacteer
details
E-mail
Bellen
+32 486 60 66 00
250 000 €

9700 Oudenaarde

Dit perceel, gelegen aan de Weldenstraat in Oudenaarde, heeft een totale oppervlakte van 1344 m². Met een straatbreedte van 20,75 meter biedt deze ruime bouwgrond een uitstekende kans om uw droomhuis te bouwen. Met een maximale bouwbreedte van 12m75! kan er zowel in de breedte als de diepte gebouwd worden zodoende maximaal te genieten van de landelijke zichten. Er is toegang tot het perceel via de voorzijde (gracht wordt nog overwelf) alsook aan de achterzijde. De mogelijkheden zijn eindeloos en volledig aan te passen aan uw wensen, of u nu kiest voor een volledig afgewerkte woning, een sleutel-op-de-deur service, of een ruwbouw wind- en waterdichte woning. De ligging van deze bouwgrond is zeer gunstig dankzij de goede bereikbaarheid en vlotte verbindingen naar Oudenaarde, Zwalm, Zottegem, Horebeke en meer. Het grootste deel heeft een A-score. De bouwgrond is gelegen op het laatste stuk van het woongebied met landelijk karakter met daarnaast en achter agrarische gebied. De bouwgrond is niet overstromingsgevoelig en geen risicozone voor overstromingen! Helemaal aan het einde van de grond heeft het agrarisch gebied een C-score. Bent u geïnteresseerd? Neem dan contact op met Vastgoed Lietaer voor meer informatie en begeleiding. Wij kunnen u de voorschriften doorsturen (zowel plat als hellend dak toegelaten) en adviseren over de mogelijkheden en de vereisten. Voor meer informatie kunt u contact opnemen via ### of bellen naar ### Meer weten?

1344
contacteer
details
E-mail
Bellen
+32 55 50 00 07
150 000 €

9660 Brakel

🏡 Unieke Bouwgrond voor Open Bebouwing in het Centrum van Brakel! Bent u op zoek naar een aantrekkelijke bouwgrond op een toplocatie? Deze prachtige projectgrond biedt u de unieke kans om uw droomwoning te realiseren, op wandelafstand van het bruisende centrum van Brakel! 📍 Ligging: Centraal gelegen, met alle voorzieningen zoals winkels, scholen en openbaar vervoer vlakbij. 📐 Afmetingen woning: Stedenbouwkundig attest goedgekeurd voor een open bebouwing van 12 m x 9,30 m. Aan de straatzijde bevinden zich momenteel 5 garageboxen. Indien gewenst kunnen deze in overleg met de eigenaar worden afgebroken vóór de verkoop – volledig bespreekbaar. 🌳 Extra troef: Mogelijkheid tot aankoop van een aanpalend stuk weidegrond – ideaal voor wie extra ruimte zoekt voor tuin, dieren of ontspanning. 📞 Interesse? Reageer eenvoudig via de advertentie, en wij nemen snel contact met u op om een bezichtiging in te plannen. Mis deze unieke kans niet – bouw hier uw toekomst in het hart van de Vlaamse Ardennen! Meer weten?

922 36 m Diepte terrein
contacteer
details
E-mail
Bellen
+32 54 41 91 57
130 000 €

9700 Oudenaarde

TROEVEN - Ontdek de Vlaamse Ardennen met al zijn faciliteiten en recreatiemogelijkheden - Gunstige ligging nabij centrum Oudenaarde - Geschikt voor Open Bebouwing LIGGING Deze bouwgrond is ideaal voor de bouw van een open bebouwing en is gelegen in de schitterende Vlaamse Ardennen. Door de gunstige ligging zijn scholen, restaurants, winkels en het natuurreservaat De Reytmeersen vlakbij! Hierdoor kan u genieten van diverse wandel- en fietsroutes in deze prachtige omgeving, alsook zijn er recreatiemogelijkheden in de buurt. Deze bouwgrond is perfect voor wie op zoek is naar een harmonieuze mix van rust, natuur en nabijheid van voorzieningen. De locatie staat garant voor een vlotte verbinding met zowel openbaar vervoer als met de wagen, waardoor steden zoals Oudenaarde en Gent slechts op een steenworp van u verwijderd zijn. Deze landelijk gelegen locatie biedt een rustige omgeving en u bevindt zich aan de rand van de historische stadskern van Oudenaarde. BESCHRIJVING De bouwgrond is geschikt voor een open bebouwing. Verder kent de grond een oppervlakte van ongeveer 400 vierkante meter. De breedte aan de straatzijde van het perceel is ongeveer 18,90 m en de diepte van het perceel is ongeveer 14,50 m. Kortom, heeft u altijd al gedroomd om uw eigen droomwoning te bouwen in de prachtige Vlaamse Ardennen, grijp dan nu deze unieke kans! Voor meer info en/of een bezoek contacteer Kevin: ### (Sted. inl. in aanvraag, maten en opp. zijn geraamd) Meer weten?

400 23 m Diepte terrein
contacteer
details
E-mail
Bellen
+32 9 273 55 55
999 000 €

9700 Oudenaarde

Ontdek deze uitzonderlijke projectgrond in het charmante Leupegem, deelgemeente van Oudenaarde. Het terrein is volledig gelegen in woonzone en biedt daardoor tal van mogelijkheden voor de toekomst. De huidige constructie kan probleemloos worden gesloopt, waardoor u de kans krijgt om uw droomvilla te realiseren op een ruim en gunstig gelegen perceel. Daarnaast behoort ook een verkaveling in meerdere loten tot de opties. Dit maakt het terrein interessant voor zowel particulieren die op zoek zijn naar een unieke plek om te bouwen, als voor projectontwikkelaars die op zoek zijn naar een aantrekkelijk investeringsproject. Voor meer informatie: bel Jordi op ### 53! Meer weten?

5245 134 m Diepte terrein
contacteer
details
E-mail
Bellen
+32 54 67 00 60
295 000 €

9700 Oudenaarde

Oudenaarde: Weldenstraat 57 Bouwgrond voor open bebouwing. bouwbreedte 15 meter x 25 m bouwwdiepte = 375 m2 bouwoppervlakte x 2 = is een bewoonbare opp van max 750m2. Werk en prive kan hier gecombineerd worden of enkel privé. Vergunde plannen reeds opgemaakt. Bijkomend aanpalend een stuk landbouwgrond van 1789m2 met uizicht op Vlaaamse Ardennen. Unieke kans Ideaal voor zelfstandige, dokter, apotheker, enz... Woonverkoop ### of ### Deze gegevens zijn louter informatief en wij kunnen niet aansprakelijk gesteld worden voor eventuele onjuistheden. Meer weten?

375 m² Bebouwbare opp. 3068 25 m Breedte terrein
contacteer
details
E-mail
Bellen
+32 478 32 44 19
125 000 €

9700 Oudenaarde

Bent u op zoek naar de perfecte locatie om uw droomwoning te realiseren? Dan biedt dit mooie perceel bouwgrond van 607 m² in het landelijke Ename/Mater een unieke kans. Ideaal voor het oprichten van een halfopen bebouwing op een groene en rustige locatie met prachtig open zicht achteraan. Kenmerken van het perceel: Oppervlakte: 6a07ca Straatbreedte: 12 meter Diepte: 50 meter Rustige ligging met groene vergezichten Uitstekende bereikbaarheid Geniet van de rust van het platteland zonder in te boeten aan comfort. Winkels, scholen, openbaar vervoer en belangrijke invalswegen bevinden zich op een boogscheut. Bouwvoorschriften: Max. bouwdiepte: 18m (gelijkvloers), 12m (verdieping) Max. nokhoogte bij hellend dak: 12m Max. kroonlijsthoogte: 6m Het bouwen van een veranda is mogelijk binnen de bouwzone. Een carport is mogelijk inpandig of wordt gezien als bijgebouw. Zijtuinstroken moeten bouwvrij blijven. Inplanting conform verkavelingsplan. Bouwmaterialen dienen in harmonie te zijn met de omliggende bebouwing. Waarom kiezen voor dit perceel? Rustige, groene omgeving Goede verbindingen Ruime bouwmogelijkheden Harmonieuze verkaveling Prachtig achterliggend uitzicht Een uitgelezen kans om te bouwen in het pittoreske Mater ,waar rust, natuur en bereikbaarheid hand in hand gaan. Heeft u interesse of vragen? Neem gerust contact op met ons kantoor voor meer informatie of een plaatsbezoek. Meer weten?

607
contacteer
details
E-mail
Bellen
+32 54 34 34 34
149 000 €

9700 Oudenaarde

Bent u op zoek naar de perfecte locatie om uw droomwoning te realiseren? Dan biedt dit mooie perceel bouwgrond van 1043m² in het landelijke Mater een unieke kans. Ideaal voor het oprichten van een halfopen bebouwing op een groene en rustige locatie met prachtig open zicht achteraan. Kenmerken van het perceel: Oppervlakte: 10a43ca Straatbreedte: 17 meter Diepte: 55,5 meter Rustige ligging met groene vergezichten Uitstekende bereikbaarheid Geniet van de rust van het platteland zonder in te boeten aan comfort. Winkels, scholen, openbaar vervoer en belangrijke invalswegen bevinden zich op een boogscheut. Bouwvoorschriften: Max bouwbreedte: 9m Max. bouwdiepte: 18m (gelijkvloers), 12m (verdieping) Max nokhoogte: 12m Max kroonlijsthoogte: 6m Het bouwen van een veranda is mogelijk binnen de bouwzone. Een carport is mogelijk inpandig of wordt gezien als bijgebouw. Zijtuinstroken moeten bouwvrij blijven Inplanting conform verkavelingsplan Bouwmaterialen dienen in harmonie te zijn met de omliggende bebouwing Waarom kiezen voor dit perceel?: Rustige, groene omgeving Goede verbindingen Ruime bouwmogelijkheden Harmonieuze verkaveling Prachtig achterliggend uitzicht Een uitgelezen kans om te bouwen in het pittoreske Mater ,waar rust, natuur en bereikbaarheid hand in hand gaan. Heeft u interesse of vragen? Neem gerust contact op met ons kantoor voor meer informatie of een plaatsbezoek. Meer weten?

1043
contacteer
details
E-mail
Bellen
+32 54 34 34 34
199 500 €

9700 Oudenaarde

OEDGELEGEN GROND van 1585m2 te OUDENAARDE! ZICHT OP GROEN! ZUID-OOSTgericht! Geen bouwverplichting! Ideaal voor VRIJ BEROEP in combinatie met wonen! Straatbreedte: 20m, Diepte: 75m, bebouwbare oppervlakte: 15m x 12,36m dus 185,4m2. Bezoek na afspraak met IMMO BEGUIN: ### Meer weten?

1585
contacteer
details
E-mail
Bellen
+32 486 60 66 00
235 000 €

9681 Nukerke

Het perceel is verkavelbaar met alleenstaande woning en bijgebouwen. Het heeft een oppervlakte van 4.763m², waarvan 2.543m² in het woongebied. Er is een verkavelingsvergunning aanwezig voor het bekomen van drie loten voor open bebouwing. Centraal gelegen tussen Ronse en Oudenaarde. Meer weten?

1585
contacteer
details
E-mail
Bellen
+32 486 60 66 00
175 000 €

9681 Nukerke

Gunstig gelegen perceel bestemd voor open bebouwing - Ongeveer 30 meter perceelbreedte. - Oppervlakte van 10a 04ca. Meer weten?

1004
contacteer
details
E-mail
Bellen
+32 486 60 66 00
99 000 €

9620 Zottegem

Deze goed gelegen grond met open zicht bevindt zich in Velzeke, deelgemeente van Zottegem. Er is een ideale verbinding richting Zottegem en Oudenaarde, alsook richting de snelweg E40. Het perceel is ideaal geschikt voor het optrekken van een halfopen bebouwing. Ook het naastgelegen perceel kan mee aangekocht worden (opp.: 567 m², prijs: 50.000 EUR). Hierdoor zou er ook een open bebouwing kunnen worden gerealiseerd. Bent u opzoek naar een goed gelegen bouwgrond met leuk uitzicht? Contacteer ons vandaag nog voor meer info! Vg/Lwag/Gmo/Gvkr/Vv Meer weten?

631
contacteer
details
E-mail
Bellen
+32 496 77 76 77
119 000 €

9620 Zottegem

Deze bouwgrond is niet alleen een solide investering maar ook de perfecte start voor wie een kwaliteitsvolle levensstijl wil combineren met rust, natuur en stadsnabijheid! TROEVEN - Gelegen in een autoluwe straat - Gunstige locatie nabij centrum Zottegem - Omgeven door een oase van groen en rust - Vlot bereikbaar met zowel de wagen als met het openbaar vervoer (Station Zottegem vlakbij) LIGGING Ontdek dit bouwperceel voor open bebouwing, gelegen in een autoluwe straat op een steenworp van het bruisende centrum van Zottegem. Deze locatie biedt het beste van twee werelden: een oase van rust en groen gecombineerd met een uitstekende bereikbaarheid waarbij alle voorzieningen binnen handbereik liggen. Het bouwperceel ligt op wandelafstand van het station van Zottegem, diverse scholen, winkels, horeca en sportfaciliteiten. Daarnaast liggen het prachtige Beislovenpark én het Egmontpark vlakbij, ideaal voor een ochtendwandeling, ontspanning of recreatie. BESCHRIJVING Met een perceelbreedte van ca. 9,75 meter en een diepte van ca. 20,62 meter is dit de ideale plek om jouw toekomstige thuis te creëren. Denk aan een moderne (starters)woning met zonnige tuin, waar u in alle rust kan ontspannen nabij een groene omgeving. Laat deze kans niet voorbijgaan. Bouw hier jouw toekomst op een plek waar rust en bereikbaarheid samenkomen! Voor meer info en/of een bezoek contacteer Kevin: ### (sommige foto's zijn referentiebeelden, Opp. zijn geraamd) Meer weten?

213 21 m Diepte terrein
contacteer
details
E-mail
Bellen
+32 9 273 55 55
260 000 €

9890 Gavere

Droom je van wonen in een groene omgeving zonder in te boeten op bereikbaarheid? Dan is dit jouw kans! TROEVEN - Groene, kindvriendelijke buurt met vlotte bereikbaarheid - Gunstige ligging en oriëntatie - Geschikt voor open bebouwing - Geen bouwverplichting LIGGING De ligging is bovendien een echte troef: vlot bereikbaar via de N60 en E17 en een uitstekende verbinding met Oudenaarde en Gent. Openbaar vervoer in de buurt zorgt ervoor dat je ook zonder auto makkelijk onderweg bent. BESCHRIJVING Ontdek deze prachtige bouwgrond van 541 m², gelegen in het charmante Vurste, een rustige deelgemeente van Gavere. Hier woon je midden in het groen, met het sfeervolle kasteeldomein Borgwal, de oevers van de Schelde én natuurreservaten zoals Domein Kriephoek en Bolveerput op wandelafstand. De gunstige locatie is een waar paradijs voor natuurliefhebbers en gezinnen. Deze bouwgrond is ideaal voor een open bebouwing met achteraan een zonnige tuin waar je volledig tot rust komt. Met een straatbreedte van 22,04 meter en een diepte van circa 30,40 meter biedt het perceel alle ruimte om jouw droomwoning te realiseren. Grijp deze unieke opportuniteit en bouw jouw toekomst in Gavere! Voor meer info en/of een bezoek contacteer Kevin: ### (bepaalde beelden zijn referentiebeelden, Opp. zijn geraamd) Meer weten?

541 30 m Diepte terrein
contacteer
details
E-mail
Bellen
+32 9 273 55 55
285 000 €

9620 Zottegem

In een rustige, kindvriendelijke straat in het charmante Grotenberge (deelgemeente van Zottegem) vindt u deze unieke projectgrond van 9a 62ca – een absolute buitenkans voor investeerders of projectontwikkelaars! Hoewel het perceel in een verkeersluwe straat ligt, geniet u toch van een zeer vlotte bereikbaarheid: het bruisende centrum van Zottegem ligt op amper 2,5 km. Wat dit perceel echt bijzonder maakt? De straatbreedte van maar liefst 32 meter, wat uitzonderlijke ontwikkelingsmogelijkheden biedt. De grond is gelegen in woongebied en bevindt zich in een omgeving waar recent reeds nieuwe woningen werden gerealiseerd – een duidelijke indicatie van het opkomende karakter van deze locatie. Momenteel is het perceel nog braakliggend en ingericht als tuin met enkele bomen. Er werd reeds een landmeter aangesteld, die een proces-verbaal van opmeting heeft opgesteld én twee interessante bouwscenario’s voorstelde (raadpleeg de foto's voor meer info): - Optie 1: 2 ruime open bebouwingen - Optie 2: 2 ruime halfopen bebouwingen (afwijking dient te worden aangevraagd + motivatie dat dit ruimtelijk gunstiger is). Er werden al informele inlichtingen ingewonnen bij de gemeente; officiële vergunningen zijn nog niet aangevraagd, wat u als koper volledige vrijheid biedt in de verdere ontwikkeling. Een zeldzame opportuniteit in een rustige, maar strategisch goed gelegen buurt – ideaal voor wie op zoek is naar een veelbelovende investering. Meer info of een bezoek? Contacteer Nicholas via ### of mail naar ### . Beslaglegging: Nee / Stedenbouwkundig attest: Nee Meer weten?

962 m² Bebouwbare opp.
contacteer
details
E-mail
Bellen
+32 470 54 20 15
125 000 €

9620 Zottegem

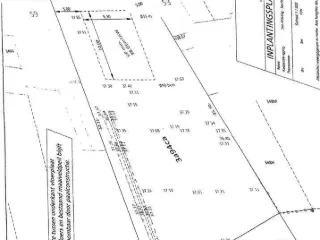
Deze bouwgrond voor een open bebouwing is centraal gelegen te Leeuwergem. De verbindingsweg N42 en de bedrijventerreinen van Zottegem zijn vlakbij. De winkels op de Buke, het centrum van Zottegem, het station (van Hillegem of Zottegem) liggen allen op enkele minuten rijden met de wagen. Het perceel heeft een straatbreedte van 17,69m en een totale oppervlakte van 795m². Volgens de bestemming is de bouwgrond grotendeels gelegen in woongebieden en achteraan in agrarische gebieden. Er zijn zeer gunstige stedenbouwkundige voorschriften: open bebouwing met max. twee bouwlagen én dakverdieping, inplanting 8m t.o.v. de as van de straat, bouwdiepte gelijkvloers max. 15m en verdiepingen max. 12m, kroonlijsthoogte max. 5,8m, helling dakvlakken tussen 35° en 50°, bouw afzonderlijke garage/bergplaats mogelijk. Afwijkingen van deze voorschriften kunnen aangevraagd worden bij de bevoegde diensten van de stad Zottegem. De bouwgrond is vrij van bouwverplichting. MOOIE BOUWGROND AAN DE JUISTE PRIJS/KWALITEIT VERHOUDING!! De foto's en luchtbeelden zijn louter informatief en kunnen geen verhaal doen ontstaan. Stedenbouwkundige inlichtingen in aanvraag sinds 5/09. P-score: A, G-score: ONBEKEND. U kan de beschikbare attesten bij verkoop downloaden via de website janssens-leroy.be. Meer weten?

795 18 m Breedte terrein
contacteer
details
E-mail
Bellen
+32 9 360 07 10
159 000 €

9620 Zottegem

Deze verkaveling situeert zich langsheen de Bontestraat te Sint-Maria-Oudenhove, de gronden zijn uiterst landelijk doch vlot bereikbaar gelegen. Men bevindt zich op +/- 1,5km van de dorpskern van Sint-Maria-Oudenhove zijnde op wandel- of fietsafstand van winkel, horeca, schooltje, cashautomaat, bakker, ... De gronden hebben allen een straatbreedte van +/- 16m en een diepte van +/- 50m. Bouwbreedte: 8m, bouwdiepte: 15m, bouwvrije zijdelingse strook: 4m, zie verkavelingsplan en -vergunning. Omwille van het terreinniveau en om de visuele impact in het straatbeeld te beperken is volgens de vergunning 1 ondergrondse bouwlaag (inpandige garage, inkom, slaapkamers), 1 volwaardige bouwlaag boven het maaiveld aangewezen, afgewerkt met een hellend of plat dak.Tuinhuisjes in de achtertuin zijn stedenbouwkundig en ruimtelijk aanvaardbaar. Het is aangewezen dat elke woning voorzien is van een inpandige garage waardoor door de plaatselijke uitgraving in het talud er op eigen terrein in de voortuin geparkeerd kan worden. Woongebieden, landschappelijk waardevolle agrarische gebieden, geen vergunning uitgereikt, geen rechterlijke herstelmaatregel of bestuurlijke maatregel opgelegd, geen voorkooprecht, verkavelingsvergunning uitgereikt. P-score: A, G-score: ONBEKEND. Geen risicozone voor overstromingen. U kan de beschikbare attesten bij verkoop downloaden via de website janssens-leroy.be. Meer weten?

803 50 m Diepte terrein 16 m Breedte terrein
contacteer
details
E-mail
Bellen
+32 9 360 07 10
159 000 €

9620 Zottegem

Deze verkaveling situeert zich langsheen de Bontestraat te Sint-Maria-Oudenhove, de gronden zijn uiterst landelijk doch vlot bereikbaar gelegen. Men bevindt zich op +/- 1,5km van de dorpskern van Sint-Maria-Oudenhove zijnde op wandel- of fietsafstand van winkel, horeca, schooltje, cashautomaat, bakker, ... De gronden hebben allen een straatbreedte van +/- 16m en een diepte van +/- 50m. Bouwbreedte: 8m, bouwdiepte: 15m, bouwvrije zijdelingse strook: 4m, zie verkavelingsplan en -vergunning. Omwille van het terreinniveau en om de visuele impact in het straatbeeld te beperken is volgens de vergunning 1 ondergrondse bouwlaag (inpandige garage, inkom, slaapkamers), 1 volwaardige bouwlaag boven het maaiveld aangewezen, afgewerkt met een hellend of plat dak.Tuinhuisjes in de achtertuin zijn stedenbouwkundig en ruimtelijk aanvaardbaar. Het is aangewezen dat elke woning voorzien is van een inpandige garage waardoor door de plaatselijke uitgraving in het talud er op eigen terrein in de voortuin geparkeerd kan worden. Woongebieden, landschappelijk waardevolle agrarische gebieden, geen vergunning uitgereikt, geen rechterlijke herstelmaatregel of bestuurlijke maatregel opgelegd, geen voorkooprecht, verkavelingsvergunning uitgereikt. P-score: A, G-score: ONBEKEND. Geen risicozone voor overstromingen. U kan de beschikbare attesten bij verkoop downloaden via de website janssens-leroy.be. Meer weten?

801 50 m Diepte terrein 16 m Breedte terrein
contacteer
details
E-mail
Bellen
+32 9 360 07 10