Land for sale - Genk

14 results (1 - 14)
185 000 €

3600 Genk

Discover a prime development opportunity with this spacious land for sale located at Hermesdijkstraat 58 in Genk. Priced at €185,000, this property comprises two contiguous parcels—identified as 257/C and 256/E—that together span approximately 24 a 91 ca (2,491 m²). Situated within a peaceful, green neighborhood in Oud-Waterschei, the site offers an ideal setting for constructing a semi-detached residence. The plots are ideally positioned on a quiet street, just a short walk from Thor Park, providing both tranquility and accessibility. The area is characterized by its residential ambiance and adherence to local zoning regulations, including a 5-meter building-free zone as stipulated by the city of Genk. The land's current zoning designates it for residential development, making it an attractive choice for investors or families seeking to build their home in a serene environment. This land parcel benefits from favorable planning conditions: the first 50 meters of the property are designated as a residential zone, while the remaining area is classified as park zone, ensuring that future construction aligns with the municipality’s green guidelines. The site is not located within a flood-prone area, adding an extra layer of security for prospective buyers. The total plot depth measures approximately 130 meters, offering ample space for customization and landscaping. The property is currently not rented and is available immediately upon signing the deed, offering a straightforward transaction process. Its strategic location in Genk combines the appeal of a tranquil setting with proximity to amenities, making it particularly suitable for those looking to develop a family home or invest in land with significant potential. If you are interested in exploring this development project further, do not hesitate to contact us for additional details. This opportunity presents a rare chance to acquire a large, versatile piece of land in one of Genk’s most desirable neighborhoods. Whether you are an investor seeking potential or a family dreaming of creating a personalized residence in a lush, peaceful setting, this land offers exceptional value. Act now to secure this unique property and start planning your future in this vibrant part of Belgium. Want to know more?

2491 130 m Depth of the terrain
contact
details
Email
Call
105 000 €

3600 Genk

In de rustige en aangename De Peperhofstraat in Genk wordt een bouwgrond te koop aangeboden van 3 are 47 ca, perfect geschikt voor het bouwen van een halfopen bebouwing. Dit perceel biedt alle mogelijkheden om een stijlvolle en moderne woning te realiseren volgens de geldende bouwvoorschriften. Er kan gebouwd worden met een maximale voorgevelbreedte van 7 meter en een bouwdiepte van 11,59 meter. De woning mag bestaan uit twee volledige bouwlagen, met een kroonlijsthoogte tot 6,50 meter vanaf het peil van de gelijkvloerse verdieping. Het gebruik van baksteen als gevelmateriaal is verplicht, maar u heeft de vrijheid om tot 30% van de gevel uit een ander duurzaam materiaal te laten bestaan. Qua dakvorm kunt u kiezen tussen een zadeldak met een hellingsgraad tussen 25 en 45 graden of een plat dak, afhankelijk van uw voorkeur en stijl. De ligging van deze bouwgrond is een echte troef. Met een uitstekende verbinding naar de autostrades E313 en E314 bent u snel onderweg naar andere steden en regio’s. Het centrum van Genk ligt op slechts 2 kilometer afstand, waardoor u vlot toegang heeft tot winkels, scholen en andere voorzieningen. Daarnaast bevindt de populaire cinema Paté zich op fietsafstand, ideaal voor een avondje uit. Met deze unieke combinatie van een rustige woonomgeving en centrale ligging is deze bouwgrond de perfecte plek om uw droomwoning te realiseren. Aarzel niet om meer informatie op te vragen en ontdek de mogelijkheden van dit prachtige perceel in Genk! Voor een bezichtiging ter plaatse of meer info, bel ons op ### of kom gewoon binnen op ons kantoor, steeds welkom! Want to know more?

347
contact
details
Email
Call
135 000 €

3600 Genk

Discover an excellent opportunity to acquire a spacious land plot in the vibrant town of Genk, perfectly suited for constructing a house of your dreams. Located at Meeënheide 98, this generous parcel offers a total surface area of 545 square meters, providing ample space for a variety of development options. Priced attractively at €135,000, this property represents a compelling investment for those seeking to build in a serene yet accessible environment. The plot is currently not rented, ensuring a straightforward transaction process, and benefits from essential utilities, including gas, electricity, and water connections, already available on site. This convenience streamlines the development process, allowing you to focus on creating your ideal home in a prime location. Situated in a peaceful part of Genk, the land features a quiet setting that balances tranquility with accessibility. The area is characterized by its green surroundings, offering an idyllic backdrop for future residential development. Its central position within Genk ensures ease of access to local amenities, schools, and transportation links, making it an attractive choice for families, professionals, or investors looking to capitalize on the region’s growth potential. Importantly, the property is not located in a flood-prone zone, and there are no pre-emptive rights or restrictions related to flood susceptibility, providing peace of mind for prospective buyers. The neighborhood's peaceful ambiance combined with its strategic location makes it an appealing site for those wanting to enjoy the best of both worlds. For those interested in exploring this unique offering further or arranging a free viewing, our office is readily available to assist. Contact us at ### for more information or to schedule a visit. This opportunity to secure a sizeable plot of land in Genk at an attractive price point could be the foundation for your future project. Take the next step toward making your vision a reality and reach out today to learn more about this well-located property and how it can meet your development needs. Want to know more?

545 38 m Depth of the terrain
contact
details
Email
Call
85 000 €

3600 Genk

Discover a spacious, fully fenced farmland offering 52 ares and 38 centiares of land, located in the tranquil surroundings of Genk on Lousbeekstraat. This extensive property provides an ideal setting for agricultural activities or livestock keeping, thanks to its generous size and secure enclosure. The land's total area of 5,238 square meters makes it a versatile asset for various rural pursuits, whether you are considering horse stabling, sheep grazing, or other types of animal husbandry. Its straightforward accessibility and peaceful environment contribute to its appeal, making it a practical choice for those seeking privacy and space in a rural yet conveniently reachable location. The property’s strategic placement in Genk ensures easy connectivity to the town center and surrounding municipalities, offering a perfect balance of rural serenity and accessibility. The land is situated in a park zone, meaning it benefits from a favorable urban planning designation that supports its agricultural or recreational use. With a depth of approximately 131 meters, the land's rectangular shape enhances its usability, allowing for flexible layout options for farming infrastructure or pasture management. Importantly, the land is not located within a flood-prone area, further securing its viability for long-term use and investment. Priced at €85,000, this farmland presents an attractive opportunity for investors, farmers, or hobbyists looking to acquire a sizable piece of land in a quiet part of Genk. The property is currently not rented and will be available upon signing the deed, offering immediate potential for development or operation. Whether you are looking to expand your agricultural portfolio or simply desire a private rural retreat, this land provides a solid foundation. For further information or to arrange a visit, please contact our office. This is a rare opportunity to own a substantial parcel of land in a desirable location, combining practicality with natural beauty. Want to know more?

5238 131 m Depth of the terrain
contact
details
Email
Call
199 000 €

3600 Genk

Discover a prime opportunity to build your dream home on a spacious plot of land located in the tranquil surroundings of Genk. This exceptional land for sale, priced at €199,950, offers a generous total area of 738 square meters, with dimensions including a depth of 24 meters, perfectly suited for constructing a single-family residence. Situated on Stukstraat, this property benefits from its peaceful, green environment while maintaining excellent connectivity to nearby amenities and main roads. The plot is positioned on a corner, providing flexibility for architectural design and outdoor space, and it is situated in a residential zone designated for open building development, making it an ideal choice for those seeking to create a personalized living space. This land is specifically intended for the development of an open residential building, with a total permissible footprint allowing for two stories and a flexible roof design. The zoning regulations within the "Oud winterslag" area aim for a density of 15 homes per hectare, making it suitable for either a single-family or multi-generational home, with secondary functions for professional or service activities permitted up to 30%. The plot is part of a quiet, well-connected neighborhood, close to facilities such as Thor Park and C-mine, with convenient access to main roads leading to Houthalen and Oudsbergen. This offers a perfect balance between privacy and accessibility, ideal for families or individuals seeking a peaceful environment without sacrificing ease of transportation. Priced at €199,950, this buildable land provides an excellent investment in a desirable location. The absence of pre-emptive rights and its availability immediately upon signing the deed make it straightforward for prospective buyers to proceed with their plans. With no restrictions on the type of roofing or building materials, future owners can tailor the construction to their preferences, ensuring a unique and harmonious addition to the neighborhood. Whether you are a developer looking for a promising project or an individual dreaming of customizing your future home, this land in Genk offers a rare and valuable opportunity. For more detailed information about building regulations or to arrange a viewing, please contact our office to explore this versatile plot further. Want to know more?

738 24 m Depth of the terrain
contact
details
Email
Call
259 000 €

3600 Genk

Discover a promising development opportunity in the vibrant city of Genk with this exceptional building plot located at Stalenstraat 103. Priced at €259,000, this parcel offers a substantial surface area of 895 square meters, providing ample space for residential construction or a bespoke housing project. The property currently remains undeveloped and unoccupied, making it an ideal investment for those seeking to create a new residential development tailored to their specifications. Situated in a designated residential zone, this land benefits from a stable urban environment and is classified under land-use regulations as a woongebied, ensuring flexibility for building plans aligned with local planning policies. This plot's strategic location in Genk makes it particularly attractive for developers and investors looking to capitalize on the area's growth potential. The property is not situated within a flood-prone zone, offering peace of mind regarding environmental risks. Its size and zoning classification make it suitable for various residential projects, whether for single-family homes, multi-unit dwellings, or innovative housing solutions. The absence of current tenants or existing structures means you have the freedom to develop without constraints, making this an excellent opportunity to realize your vision in a well-established part of Genk. If you are interested in exploring this unique development site or require more detailed information, we invite you to contact us directly. Our team is ready to assist you with all questions and guide you through the purchase process. Whether you are an experienced developer or an investor seeking land with growth potential, this property at Stalenstraat 103 presents a compelling opportunity in one of Belgium’s thriving towns. Don’t miss the chance to acquire a sizable plot in a promising area—reach out today to learn more and take the first step toward your project in Genk. Want to know more?

895
contact
details
Email
Call
249 000 €

3600 Genk

Discover a prime development opportunity situated in the vibrant city of Genk, with this well-positioned building plot offered at a competitive price of €249,000. Located at Stalenstraat 97, this parcel spans a total area of approximately 662 square meters, presenting an excellent foundation for residential development. The site is currently not occupied or rented, making it ready for your project to begin without delay. Its strategic location within a designated residential zone ensures it aligns perfectly with urban planning regulations for living developments. This plot benefits from being part of a well-established residential area in Genk, a city renowned for its blend of industrial heritage and modern living. The property’s zoning as a "woongebied" indicates it is intended for housing, providing flexibility for various types of residential projects. Notably, the site is not situated within a flood-prone zone, offering peace of mind regarding environmental risks. The surrounding environment combines accessibility with tranquility, making it an attractive location for future residents or investment. The property’s size and zoning provide ample opportunities for creating a variety of housing options, whether single-family homes or multi-unit developments, subject to local planning permissions. If you are interested in this development site or want further information, contact us today. Our team is ready to assist you with details about the property and the potential for your future project in Genk. This is an excellent chance to acquire a sizeable, versatile plot in a thriving Belgian city, and we look forward to helping you realize your real estate ambitions. Want to know more?

662
contact
details
Email
Call
344 000 €

3600 Genk

BOUWGROND MET EEN GRONDOPPERVLAKTE VAN 23A50CA TE GENK. Dit perceel is gelegen in BPA (bijzonder plan van aanleg) Winterslag 42; meer bepaald in de zone voor residentieel wonen geïntregreerd in bestaand groen. Specifieke stedenbouwkundige voorschriften: - Bestemming: De hoofdbestemming is wonen (eengezinswoningen). Als nevenfuncties zijn, na realisering van de hoofdbestemming, eveneens vrije beroepen en diensten toegelaten. Ze mogen enkel voorzien worden indien ze max. 50% van de totale gelijkvloerse oppervlakte innemen en indien niet storend aan de woonfunctie. - Bebouwing: dit gebied zal dienen voor het oprichten van gebouwen in open en halfopen bouwvorm. - Inplanting: In de zone, gelegen langs de Oostlaan (voormalige verkaveling 690), bedraagt de afstand van de rooilijn tot de voorgevel 10 m. In een tweede zone, gelegen langs de Oostlaan (voormalige verkaveling 503 en 103), bedraagt de afstand van de rooilijn tot de voorgevel 5 m. Op de percelen die niet gelegen zijn in een goedgekeurde verkaveling wordt de voorgevellijn van deze van de ernaast liggende voormalige verkaveling gevolgd. - De maximale bouwdiepte is 17 m . - De afstand tot de zijdelingse perceelsgrens bedraagt 5 meter. - Bouwvolume: De kroonlijsthoogte is gelegen tussen 3 meter en 6 meter t.o.v. het wegpeil. De nokhoogte is beperkt tot de hoogte van de nok van de aangrenzende bebouwing. De dakvorm is uniform per woonblok en in harmonie met de typologie van de tuinwijk. - Materialen: De gevel-en dakbedekkingsmaterialen bestaan uit duurzame materialen in harmonie met de omgeving. - Vrijstaande bijgebouwen: De functie van de vrijstaande bijgebouwen is garage/berging. Er mag maximaal 1 vrijstaand bijgebouw opgericht worden. De oppervlakte dient beperkt tot 45 m2. Enkel indien er geen losstaande constructie aanwezig is, kunnen typische houten tuinhuisjes toegelaten worden in de achtertuin. Ze hebben een oppervlakte van maximum 6m2 en worden uitgevoerd in duurzame houten materialen. De vrijstaande bijgebouwen worden ingeplant op min. 1,5 m achter de maximaal mogelijke achtergevellijn. Indien niet gekoppeld worden ze ingeplant op min. 1 m, verwijderd van de laterale perceelsgrenzen. EXTRA INFORMATIE Voor specifieke vragen over de bouwmogelijkheden ter plaatse kan een aanvraag altijd ingediend bij de dienst omgeving te Genk via het e-mailadres ### . Enkel zij kunnen hier uitsluitsel over geven. Bekijkt u deze advertentie via een aanverwante vastgoedsite, surf dan zeker naar onze website www.N78vastgoed.be voor een uitgebreide beschrijving en foto's. Meer info: ### of ### . Want to know more?

2350
contact
details
Email
Call
165 000 €

3600 Genk

Discover a prime opportunity to acquire an expansive building plot in the vibrant city of Genk, perfectly suited for constructing a single-family home. This generous parcel of land, measuring 668 square meters, offers ample space for a personalised residence, with the added convenience of existing connections for gas, electricity, and water—ready for immediate installation. Located on Eikelaarstraat, the property benefits from a central position within Genk, providing excellent accessibility and proximity to local amenities, schools, and transport links. The site has already been subdivided into a lot of 6 are 68 ca, representing a versatile and attractive investment opportunity for those seeking to develop a private residence in a well-established residential area. The plot's layout includes a street frontage of 13 meters, facilitating straightforward access and construction planning. Notably, the current building structure on the site will be demolished by the seller, offering a clean slate for new development. The property is not situated in a flood-prone zone, ensuring peace of mind regarding environmental considerations. As it is not subject to pre-emptive rights and falls within a residential zoning area, this land offers flexibility for future use, whether for personal housing or investment purposes. The property is currently unoccupied, allowing prospective buyers to explore development options without delay. The combination of sizeable land area, existing utility connections, and central location makes this an ideal proposition for house builders and investors alike. Priced at €165,000, this building plot represents an attractive financial opportunity in the heart of Genk. The property’s strategic position within a peaceful yet accessible neighbourhood makes it particularly appealing for those wishing to establish a home in a thriving urban environment. For further information or to arrange a no-obligation viewing, interested parties are encouraged to contact our office. Our team is dedicated to guiding you through the acquisition process and helping you realize your property development ambitions in this sought-after area. Don’t miss the chance to secure this exceptional plot and turn your residential project into reality in Genk. Want to know more?

668
contact
details
Email
Call
175 000 €

3600 Genk

Discover a fantastic opportunity to acquire a spacious building plot in the vibrant city of Genk, perfectly suited for constructing a single-family home. Located at Eikelaarstraat 9, this generous piece of land offers a total surface area of 818 square meters, providing ample space for your future residence. Priced at €175,000, this plot presents an attractive investment for those seeking to build in a central location with excellent connectivity. The property is currently not rented and is ready for development, with all essential utilities—gas, electricity, and water—already connected, simplifying the building process. This parcel features a well-planned layout and has been subdivided into two lots, namely Lot 2A and Lot 2B, facilitating flexible development options. The lot boasts a street width of 13 meters, ensuring easy access and maneuverability for construction and future daily living. Notably, the site is situated within a residential zone designated for urban or rural dwellings, ensuring a peaceful environment aligned with local zoning regulations. The land is not located in a flood-prone area, offering peace of mind regarding environmental risks. Additionally, the land has already been successfully subdivided, streamlining the process of building your new home. Genk's central location makes it highly appealing for families and professionals alike, with convenient access to local amenities, schools, and transportation links. The seller will demolish any existing structures on the site to prepare it for new construction, and detailed site plans with dimensions are available to assist in your planning process. Whether you're an investor or a future homeowner, this offering in Genk provides a rare opportunity to create a personalized residence in a thriving community. For further information or to arrange a non-binding consultation, contact our office at ### 15—we are ready to assist you in exploring this exceptional property. Want to know more?

818
contact
details
Email
Call
Price on request

3600 Genk

Discover a prime opportunity to develop in the vibrant city of Genk with this spacious building plot available for sale at Eikelaarstraat 7. Priced at €175,000, this land offers a substantial total area of 814 square meters, perfectly suited for constructing a single-family home. The lot is already subdivided into two parcels, Lot 1A and Lot 1B, providing flexibility for your development plans. The terrain benefits from a generous street frontage of 13 meters, facilitating ease of access and construction. Additionally, the property is equipped with all essential utilities, including gas, electricity, and water connections, ensuring a hassle-free build process. The land is currently unoccupied and not under any preemption rights, making it a straightforward investment for future homeowners or developers. Situated in a central and accessible part of Genk, this plot boasts an ideal location for those seeking proximity to urban amenities while enjoying the tranquility of a residential neighborhood. The entire site has been duly subdivided (verkaveld), which simplifies planning and development procedures. The property’s zoning as a residential area aligns with current urban planning regulations, supporting the construction of a detached house (HOB). Notably, the seller will demolish any existing structures on the site, simplifying the process for new construction. For prospective buyers eager to explore the potential of this land, detailed plans and dimensions are available, offering transparency and aiding decision-making. Its strategic position within Genk allows easy access to local services, schools, and transport links, making it an excellent choice for families or investors alike. If you are interested in this exceptional piece of real estate or wish to arrange a free consultation, do not hesitate to contact our office at ### Our team is ready to assist you with further information and guide you through the next steps toward acquiring this valuable land. This opportunity combines affordability with excellent location and development potential — a rare find in today’s market that promises significant possibilities for your future project. Take action now to secure this impressive plot in one of Genk’s most convenient and desirable areas. Want to know more?

814
contact
details
Email
Call
269 000 €

3600 Genk

This development site is located in the residential neighborhood of Bret-Gelieren in Genk, offering a peaceful and green setting. The property spans approximately 910 square meters with a street frontage of 22 meters, providing ample space for building. Situated in a quiet street, it is conveniently close to local amenities such as schools, the city center, and major roads including the highway, making it suitable for those seeking a combination of tranquility and accessibility. The land is already prepared for development, with building regulations available upon request. The plot is situated in a non-flood-prone area and falls within a residential zoning area designated for various types of housing development. Its strategic location near natural surroundings and urban conveniences makes it an attractive choice for building a home or investment project. Currently, the property is not rented and is being offered at a price of €269,000. It provides a spacious and well-situated opportunity for prospective buyers interested in creating a customized residence in a sought-after part of Genk. For further details or to request building regulations, interested parties can contact the provided phone number or email. Want to know more?

910 5066 m Depth of the terrain
contact
details
Email
Call
640 000 €

3600 Genk

This development site, located on Kastertstraat in the city of Genk, offers a unique opportunity for investment in a tranquil and central location. Priced at 640,000 €, this property (Ref. Immovlan: RBK72165, Ref. verkoper: 6185) consists of a total land area of 4,179 m². The plot is composed of two parcels suitable for semi-detached houses (HOB) and an additional parcel that can potentially be subdivided into 4 to 8 plots, subject to acquiring extra land. The site is situated in a residential expansion area, making it ideal for development projects aimed at meeting the growing housing demand in Genk. The peaceful Kastertstraat provides a serene environment while still being conveniently close to Genk’s city center and major access roads, ensuring easy connectivity for future residents. For those interested, a comprehensive study of the project is available upon request. This site presents a remarkable chance to develop a residential area that balances tranquility with central accessibility. For further inquiries or to express interest, please contact us at ### or via email at ### . Want to know more?

4179
contact
details
Email
Call
139 000 €

3600 Genk

*IN OPTIE* EXCLUSIEVE BOUWGROND VOOR HOB (LOT 5) OP 4A48CA IN RESIDENTIËLE WIJK IN GENK. TROEVEN: - Gelegen dichtbij het centrum van Genk. Alle belangrijke voorzieningen in de buurt! - Mogelijkheid om je eigen droomwoning te bouwen! BEKNOPTE VERKAVELINGSVOORSCHRIFTEN: - Hoofdbestemming: eengezinswoningen. - Bouwdiepte gelijkvloers: 12,00m. - Bouwdiepte verdiep: 12,00m. - Bouwbreedte: max. 8,00m. - Bouwhoogte: tot maximaal 2 bouwlagen. - Kroonlijsthoogte gemeten vanaf de bouwlijn minimaal 5,50m en maximaal 6,50m. - Bouwstijl, materiaalgebruik, dakvorm,.... moeten ook aansluiten of passen bij de aanpalende woning (harmonisch geheel). Volledige voorschriften en -plan op aanvraag. Ook een afspraak op ons kantoor is mogelijk! Bekijkt u deze advertentie via een aanverwante vastgoedsite, surf dan zeker naar onze website www.N78vastgoed.be voor een uitgebreide beschrijving en foto's. Meer info: ### of ### . Want to know more?

448
contact
details
Email
Call

Below you can find some more interesting places in the surroundings of Genk (3600).

145 000 €

3665 As

Bouwgrond voor half open bebouwing gelegen in As. Lot 4: 7 are 97 centiare Contacteer ons kantoor via ### of ### voor meer info. Want to know more?

797 58 m Depth of the terrain
contact
details
Email
Call
+32 11 29 12 12
179 000 €

3590 Diepenbeek

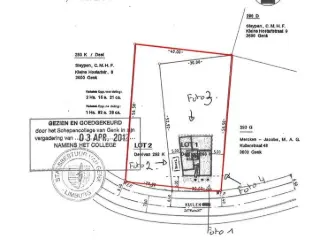
This exceptional development site located in Diepenbeek presents a remarkable opportunity for those seeking to build their future home in a tranquil yet conveniently accessible setting. Priced at €179,000, this spacious plot of land boasts a total area of 880 square meters, situated in a quiet neighborhood that combines natural beauty with practical connectivity. The property is situated on Kleine Herenweide, offering a generous frontage of approximately 24 meters and a depth of 34 meters, facilitating the construction of a stylish open-concept residence tailored to your preferences. The plot’s broad and deep configuration allows for flexible architectural designs, making it an ideal location for future homeowners looking to create a comfortable and personalized living space. The land features a northeast orientation, ensuring ample sunlight throughout the day, especially in the lush garden area. Its strategic positioning adjoins a green park, providing residents with a peaceful environment, privacy, and scenic views—perfect for outdoor activities or simply enjoying a natural setting. The site’s location strikes an excellent balance between serenity and accessibility; essential amenities such as schools, shops, restaurants, and public transportation are all within close reach. Major roadways and highways facilitate easy commuting to nearby towns like Hasselt, while the surrounding area remains free from flood risks or environmental restrictions. The property is currently not rented and will be available immediately upon signing the deed, offering a straightforward process for prospective buyers eager to realize their construction plans. Diepenbeek itself is renowned for its quality of life, combining rural charm with modern conveniences. Whether you envision building a family home, a private residence, or an investment property, this plot offers immense potential. The designated residential zoning ensures that your project will conform to local planning regulations while enjoying the benefits of a safe and welcoming community. For those interested in exploring this unique opportunity further, Swevers Real Estate is ready to assist with detailed information and personalized guidance. Contact us today to learn more about this prime development site and take the first step toward creating your dream home in Diepenbeek. Want to know more?

880 34 m Depth of the terrain 24 m Width terrain
contact
details
Email
Call
+32 11 25 51 55
137 500 €

3590 Diepenbeek

This exceptional development opportunity is located in the charming town of Diepenbeek, offering a prime piece of land suited for building your ideal residence. Priced at €137,500, this spacious plot of 719 square meters provides ample space for a custom-designed home or a small residential project. Situated on Paul Piperslaan lot number 7, the property benefits from a strategic location within a peaceful neighborhood that fosters a sense of community and tranquility. The plot boasts a street frontage of approximately 10.36 meters, with a desirable south-facing orientation that allows for excellent natural light penetration throughout the day. Its zoning as a residential area makes it an attractive choice for those seeking to develop a home in a quiet, yet accessible environment. However, potential buyers should be aware that the site is situated within a possibly flood-prone area, which may require specific planning considerations. Detailed development regulations and additional information are available upon request, ensuring transparency and clarity for prospective investors or future homeowners. Located within the municipality of Diepenbeek, this land offers the perfect balance between rural charm and urban convenience. The town is renowned for its welcoming community, local amenities, and scenic surroundings. Whether you are looking to build your family home or an investment property, this site presents an excellent opportunity to realize your project in a vibrant Flemish setting. To explore this promising development site further and discuss your plans, please contact us today. Want to know more?

719
contact
details
Email
Call
+32 11 76 05 04
75 000 €

3590 Diepenbeek

Located at Plompaertstraat 13 in the serene town of Diepenbeek, this impressive parcel of land offers an expansive area of 1,817 square meters. The property, available for €75,000, is situated in a peaceful neighborhood yet conveniently close to major routes leading to both Hasselt and Diepenbeek. This strategic positioning enhances its appeal for future development, whether you're considering building a home or embarking on a larger project. The plot, measuring 23 meters in width and 110 meters in depth, is classified under residential expansion area zoning, providing promising prospects for growth and investment. Its generous dimensions and location within a developing region make it an attractive choice for those looking to capitalize on the ongoing development in Diepenbeek. With the property being free upon deed, it offers immediate availability for development plans. For further inquiries or to discuss this opportunity in more detail, please contact Tom from Immo Benny Simons at ### This land represents a fine opportunity to invest in a vibrant and expanding community. Want to know more?

1817
contact
details
Email
Call
+32 475 25 01 72
269 000 €

3520 Zonhoven

Discover a unique opportunity to acquire spacious land in the picturesque town of Zonhoven with this exceptional plot for sale at the attractive price of €269,000. Situated on Kriekelstraat 52, this parcel offers a total surface area of 2,151 square meters, providing ample space for various development possibilities. The property is divided into two distinct lots, each with its own zoning designation: Lot 1.A encompasses 1,108 square meters within a residential zone characterized by a rural ambiance, ideal for those seeking a peaceful and green environment. Adjacent to it, Lot 1.B spans 1,043 square meters situated in an agricultural zone, offering further flexibility for future projects. The entire plot features a street frontage of 28 meters and extends approximately 100 meters in depth, granting significant scope for construction or investment. Located in the well-connected and accessible Kriekelstraat, this land benefits from excellent transportation links towards Hasselt, Genk, and the E314 motorway. Its prime position combines the tranquility of a semi-rural setting with the convenience of nearby amenities such as shops, schools, and public transport options—all reachable within minutes. The neighborhood provides an inviting environment suitable for open-building projects, with building regulations allowing a maximum building depth of 17 meters and up to two floors under the eaves, along with the possibility of constructing small ancillary buildings up to 50 square meters. The property is not situated within a flood-prone area, classified as flood risk class A, ensuring peace of mind regarding environmental safety. This land presents a superb opportunity for developers or individuals seeking a sizeable plot to realize their project ambitions in Zonhoven. Its advantageous location, combined with flexible building potential and the peaceful rural setting, makes it a compelling choice. Whether you envision a private residence with generous outdoor space or a development project, the possibilities are numerous. The property is currently not leased and will be available upon signing the deed, making it ready for your next step. For further inquiries or to arrange a viewing, contact us today to explore the potential of this outstanding land parcel in Zonhoven. Want to know more?

2151
contact
details
Email
Call
+32 11 49 65 60
198 000 €

3520 Zonhoven

Discover a fantastic opportunity to build your dream home on this spacious plot of land situated in the peaceful and family-friendly neighborhood of Zonhoven. This prime building lot, located at Holleweg LOT 3, offers an expansive surface area of 8 ares and 96 centiares (896 m²), presenting ample space for a custom-designed residence. The land features a street frontage of approximately 53 meters and a depth of 42 meters at its deepest point, providing flexibility for architectural planning and landscaping. Positioned in a serene area yet close to the vibrant center of Zonhoven, this location offers the perfect balance of tranquility and convenience. The property’s orientation towards the northeast ensures that future gardens and outdoor spaces will benefit from natural sunlight, creating an inviting environment for outdoor living. The plot is ideally suited for constructing an open-plan single-family home with a generous facade, allowing for a visually striking appearance and functional living space. Its favorable location provides excellent connectivity to local amenities, schools, shops, and recreational facilities, making it an ideal choice for families or individuals seeking a quiet yet accessible lifestyle. The land is currently not leased, ensuring that buyers have full ownership and immediate availability upon signing the deed. As for environmental considerations, the property is not situated within a flood-prone zone and has a favorable overstromingsgevoeligheid classification (class A), offering peace of mind regarding potential water-related risks. For more detailed information about building regulations and development possibilities, interested parties are encouraged to contact our office directly. Priced at €198,000, this building plot represents a valuable investment opportunity in the Zonhoven real estate market. Whether you are looking to develop a personalized family home or seeking a strategic addition to your property portfolio, this land provides a versatile foundation for your project. Availability is straightforward, with the property ready for transfer upon the signing of the deed. Don't miss the chance to acquire this attractive piece of land in a highly desirable location—contact us today to arrange a viewing or to obtain further details about this exceptional opportunity to create your ideal home in Zonhoven. Want to know more?

896 42 m Depth of the terrain
contact
details
Email
Call
+32 11 49 65 60