Garage à vendre - Merchtem

5 résultats (1 - 5)
29 000 €

1785 Merchtem

Emplacement de parking avec espace de rangement à vendre dans la résidence « OudMiereghem », située au centre de Merchtem. Caractéristiques : - Emplacement de parking de 3,16m sur 5m - Cave de 3,35m x 1,62m = 5,4m² - Espace séparé - Possibilité d’installer une porte Plus d’informations ou une visite ? Contactez Structura au ### ou via ### En savoir plus ?

Contacter
Détails
E-mail
Appeler
Prix sur demande

1785 Merchtem

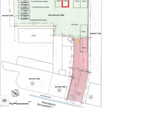
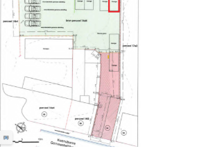
Découvrez cette opportunité unique d'investissement à Merchtem avec cette vente de garage située au 19a Langensteenweg, identifiable sous la référence RBV40369. Offrant un emplacement stratégique dans le centre-ville, cette propriété constitue une excellente occasion pour les investisseurs ou entrepreneurs souhaitant diversifier leur portefeuille ou développer leur activité dans un secteur en pleine demande. La propriété comprend un ensemble de huit garagebox modernes et bien entretenues, réparties sur deux façades, ce qui facilite leur gestion et leur accessibilité. La localisation centrale garantit une visibilité optimale et un accès pratique, renforçant la valeur locative potentielle de ces espaces. Ce complexe de garages est actuellement vacant, ce qui permet à l’acquéreur de définir ses propres modalités d’utilisation ou de louer rapidement ces espaces. La vente est effectuée sans TVA, simplifiant ainsi le processus pour les investisseurs. Le bien est situé dans un environnement résidentiel, en zone à vocation principalement résidentielle, avec une conception qui évite tout risque d'inondation, ce qui confère une sécurité supplémentaire quant à la pérennité de l’investissement. Avec une disponibilité immédiate après signature de l’acte notarié, cette propriété offre une flexibilité appréciable pour ceux qui souhaitent démarrer ou étendre leur activité rapidement. Située dans un quartier dynamique de Merchtem, cette propriété bénéficie d’un cadre propice à la location ou à une utilisation commerciale. Le centre-ville, accessible facilement, confère à la propriété un attrait certain pour des locataires ou des utilisateurs souhaitant bénéficier d’un emplacement de choix. La proximité des axes principaux facilite le déplacement vers d’autres parties de la région, rendant cette offre encore plus attractive. Si vous recherchez un placement solide dans un marché stable ou souhaitez exploiter un espace commercial avec un potentiel locatif élevé, cette vente représente une occasion à ne pas manquer. N'hésitez pas à contacter Gert au ### ou par email à ### pour organiser une visite ou obtenir davantage d’informations sur cette opportunité exceptionnelle. En savoir plus ?

Contacter
Détails
E-mail
Appeler
10 000 €

1785 Merchtem

Ce garage extérieur, situé à l'adresse Koning Albertstraat 89 NOS3 à Merchtem, est une opportunité idéale pour ceux qui recherchent un espace de stationnement pratique et accessible. Avec des dimensions de 5 mètres de longueur sur 2,5 mètres de largeur, il offre suffisamment d'espace pour garer confortablement votre véhicule. De plus, sa proximité avec la gare de Merchtem en fait un emplacement stratégique pour les navetteurs. Construit en 2006, ce garage est disponible immédiatement après l'acte d'achat. Il est actuellement libre et non loué, ce qui représente un avantage certain pour l'acheteur intéressé par une occupation rapide. De plus, deux emplacements de stationnement adjacents sont également disponibles à la vente, chacun au prix attractif de 10 000 €, offrant une possibilité d'acquisition multiple pour ceux qui le souhaitent. Bien qu'il ne soit pas équipé d'un système d'alarme, ce garage offre une solution pratique et abordable pour le stationnement dans la région. N'hésitez pas à contacter beHome à l'adresse e-mail suivante : ### pour toute information supplémentaire ou pour manifester votre intérêt. En savoir plus ?

Contacter
Détails
E-mail
Appeler
8 500 €

1785 Merchtem

Place de parking à vendre dans la résidence Camille au centre de Merchtem. Plus d'informations ou une visite du site ? Contactez-nous au ### ou à l'adresse ### . En savoir plus ?

Contacter
Détails
E-mail
Appeler
16 000 €

1785 Merchtem

Plusieurs emplacements de voiture à vendre au centre de Merchtem, situé au résidence "August De Boeck". Plus d'informations ou une visite? Contactez STRUCTURA au ### ou ### En savoir plus ?

Contacter
Détails
E-mail
Appeler

Nous n'avons trouvé que peu de résultats correspondant à vos critères.

Créer une email alerte pour être informé lorsqu'un nouveau bien correspondant à vos critères de recherche est publié !


Ci-dessous, vous pouvez trouver quelques adresses intéressantes en plus dans les alentours de Merchtem (1785) + Localités.

10 000 €

1745 Opwijk

Découvrez cette opportunité unique d'acquérir une place de parking située à Opwijk, une ville dynamique et bien desservie, idéale pour faciliter la mobilité quotidienne. Cette place de stationnement, d'une valeur de 10 000 €, est idéalement placée dans un secteur stratégique, offrant ainsi une solution pratique pour le stationnement de votre véhicule ou un investissement judicieux dans un bien immobilier à fort potentiel. La localisation précise au 49, Oude Pastoriedreef, permet un accès facile au centre-ville d'Opwijk, facilitant vos déplacements quotidiens ou vos activités professionnelles. Ce parking, ref. RWC42137, se trouve dans un état excellent et bénéficie d'une disponibilité immédiate à la signature de l'acte notarié. La proximité du centre-ville renforce son attrait pour les résidents locaux ou pour des investisseurs souhaitant renforcer leur portefeuille immobilier dans cette région en croissance. La situation géographique, tout en étant pratique, impose toutefois une vigilance quant à la zone identifiée comme sujet à un risque réel d'inondation, ce qui est à prendre en considération pour une éventuelle utilisation à long terme ou en vue d'un investissement. La construction prévue pour 2025 garantit une infrastructure récente et conforme aux normes actuelles, assurant ainsi une utilisation sereine et durable. N'hésitez pas à nous contacter pour organiser une visite ou pour obtenir plus d'informations sur cette place de stationnement exceptionnelle à Opwijk. Que vous soyez un particulier désirant sécuriser votre stationnement ou un investisseur recherchant une opportunité sûre dans cette région en pleine expansion, cette offre représente une occasion à ne pas manquer. Faites le choix d’un bien immobilier pratique et sécurisé en investissant dans cette place de parking bien située, bénéficiant d’un rapport qualité-prix attractif et d’une disponibilité immédiate. Contactez-nous dès aujourd’hui pour concrétiser cette acquisition ou pour toute question complémentaire. En savoir plus ?

Contacter
Détails
E-mail
Appeler
+32 476 33 39 09
15 000 €

1745 Opwijk

Titre: Garage à vendre - Opwijk Prix: 18 000 € Référence Immovlan: RWC36158 Référence vendeur: 3698 Adresse: Oude Pastoriedreef Code postal: 1745 Ville: Opwijk Nous vous proposons plusieurs garages situés au sous-sol de la résidence Oude Pastorie, actuellement en construction et dont la livraison est prévue pour fin 2025. Le garage numéro 13 est proposé au prix attractif de 18.000 €, ce qui en fait une excellente opportunité pour les résidents locaux ou les investisseurs à la recherche d'un espace de stationnement sécurisé. Ces garages bénéficient d’une localisation avantageuse, à proximité du centre d'Opwijk. La résidence est située dans une zone résidentielle, offrant un cadre de vie agréable et pratique. Cette situation permet un accès rapide aux commodités et services disponibles dans le centre-ville, tout en profitant d'un environnement calme. La résidence Oude Pastorie est en cours de développement et promet des finitions de qualité. La disponibilité des garages sera établie d'un commun accord, en fonction de l'avancement des travaux. N'hésitez pas à nous contacter pour plus d'informations ou pour convenir d'une visite sur place à votre convenance. En savoir plus ?

Contacter
Détails
E-mail
Appeler
+32 476 33 39 09
25 000 €

1730 Asse

Dans un projet de construction neuve réalisé en 2025 dans un quartier calme d'Asse, nous proposons une place de parking à vendre. Cette place de stationnement confortable et sécurisée se situe dans une résidence moderne et durable et constitue une excellente solution pour qui recherche un stationnement sans souci dans les environs immédiats. Grâce à sa situation dans un quartier résidentiel agréable, vous profitez du calme tout en bénéficiant d'un accès rapide aux principales voies d'accès. La place de parking est non seulement pratique pour un usage personnel, mais aussi un investissement intéressant compte tenu de la demande soutenue de places de stationnement à Asse. En savoir plus ?

Contacter
Détails
E-mail
Appeler
+32 2 421 71 41
27 000 €

1730 Asse

Dans un projet de construction neuve réalisé en 2025 dans un quartier calme d'Asse, nous proposons une place de parking à vendre. Cette place de stationnement confortable et sécurisée se situe dans une résidence moderne et durable et constitue une excellente solution pour qui recherche un stationnement sans souci dans les environs immédiats. Grâce à sa situation dans un quartier résidentiel agréable, vous profitez du calme tout en bénéficiant d'un accès rapide aux principales voies d'accès. La place de parking est non seulement pratique pour un usage personnel, mais aussi un investissement intéressant compte tenu de la demande soutenue de places de stationnement à Asse. En savoir plus ?

Contacter
Détails
E-mail
Appeler
+32 2 421 71 41
15 000 €

1730 Asse

Investissez dans votre propre garage box fermé : un placement durable pour votre confort personnel ou comme premier investissement immobilier. Accessible via un passage (Koensborre n° 54) avec entrée commune sécurisée par un portail électrique, garantissant la sécurité de votre véhicule à tout moment. Possibilité d'achat en lot. Idéalement situé en plein centre d’Asse. N’hésitez pas à nous contacter ! En savoir plus ?

Contacter
Détails
E-mail
Appeler
+32 2 305 51 33
15 000 €

1730 Asse

Vous en avez assez de chercher une place de parking ou de payer une carte de résident ? Investissez dans votre propre box de garage fermé : un investissement durable pour votre propre confort ou comme (premier) investissement immobilier. Accessible par un passage (Koensborre n° 54) avec entrée commune par portail électrique, votre véhicule est donc toujours en sécurité. Situation très centrale dans le centre d'Asse. N'hésitez pas à nous contacter. En savoir plus ?

Contacter
Détails
E-mail
Appeler
+32 2 305 51 33
12 500 €

1731 Zellik

immo DAVID propose : cinq emplacements de parking extérieurs à vendre, chacun au prix de 12.500 €. Ils bénéficient d’un emplacement idéal à proximité du centre de Zellik, du ring de Bruxelles, du centre-ville de Bruxelles et de l’UZ Bruxelles. Ces emplacements offrent un confort et un accès optimal, parfaits pour ceux qui souhaitent disposer d’une solution de parking sûre et pratique dans un quartier recherché. Ne manquez pas cette opportunité unique et investissez dès aujourd’hui dans le confort pratique et un bien de valeur. En savoir plus ?

Contacter
Détails
E-mail
Appeler
+32 2 305 51 33
22 000 €

1780 Wemmel

Découvrez cette opportunité unique d'acquérir une place de parking souterraine située à Wemmel, idéale pour sécuriser votre véhicule dans un environnement pratique et sécurisé. Cette place de stationnement, référencée sous le numéro P49, se trouve au sein d’un parking sous-sol accessible via une porte automatique équipée d’un système de télécommande, garantissant une facilité d’accès et une tranquillité d’esprit pour le propriétaire. Avec un prix de 22 000 €, cette propriété offre une solution pratique pour ceux qui recherchent une place de stationnement fiable dans la région de Wemmel, tout en étant à proximité des commodités et infrastructures locales. La place de parking est située dans une zone résidentielle, conformément à la destination urbanistique en vigueur, ce qui en fait un investissement ou un espace personnel pratique pour les futurs acquéreurs. La localisation précise au Koning Albert I Laan 48 dans la commune de Wemmel permet de bénéficier des avantages d’un secteur résidentiel tout en restant proche des axes de communication majeurs. La place n’est pas actuellement louée, ce qui indique une disponibilité immédiate à la signature de l’acte authentique. Le prix fixé à 22 000 € est clair et sans coûts supplémentaires tels que la TVA, ce qui facilite la transaction pour les intéressés. Que vous soyez un automobiliste cherchant à assurer la sécurité de votre véhicule ou un investisseur souhaitant diversifier son portefeuille immobilier, cette place de parking représente une opportunité remarquable. La disponibilité immédiate, combinée à une localisation stratégique, en fait un excellent choix pour répondre à divers besoins résidentiels ou pratiques. Pour plus d’informations ou pour organiser une visite sur place, n'hésitez pas à nous contacter. Notre équipe est à votre disposition pour vous accompagner dans cette acquisition et répondre à toutes vos questions afin que vous puissiez profiter pleinement des avantages que cette place de stationnement peut vous offrir dans la charmante commune de Wemmel. En savoir plus ?

Contacter
Détails
E-mail
Appeler
+32 2 460 80 46
25 000 €

1780 Wemmel

Situé au cœur de Wemmel, cette opportunité rare consiste en la vente de trois garages situés au Kam 7, offrant une solution pratique pour le stationnement ou un espace de travail supplémentaire. Ces garages, actuellement loués, offrent une stabilité locative immédiate et représentent un investissement intéressant pour les acheteurs souhaitant enrichir leur portefeuille immobilier. La première et la deuxième unité ont chacune une superficie de 13 m², vendues au prix unitaire de 25 000 €, tandis que la troisième bénéficie d'une surface plus généreuse de 44 m², proposée à 45 000 €. La configuration de ces garages permet une utilisation flexible, notamment pour du stockage ou comme atelier, comme c'est actuellement le cas pour le troisième espace. Leur emplacement stratégique à Wemmel, accessible via l'inrit de Maalbeeklaan, constitue un avantage considérable. La ville de Wemmel est connue pour sa proximité avec Bruxelles tout en offrant un cadre résidentiel paisible. La disponibilité immédiate et la possibilité de négocier la date de prise de possession rendent cette offre particulièrement attrayante pour les investisseurs ou pour toute personne recherchant un emplacement sécurisé pour ses véhicules ou ses activités professionnelles. La vente ne comporte pas de TVA, simplifiant ainsi le processus d’acquisition pour l’acheteur. La propriété bénéficie également d’un droit de préemption, ce qui confère un certain niveau de sécurité juridique à la transaction. Ce bien immobilier est situé dans une zone résidentielle, sans risque d'inondation ni restrictions urbanistiques particulières. La municipalité veille à maintenir un environnement calme et accueillant, idéal pour ceux qui souhaitent investir dans un logement ou un espace commercial dans une localité en pleine évolution. La disponibilité reste à convenir avec le vendeur, ce qui permet une certaine flexibilité dans la planification de l’achat. N'hésitez pas à contacter VMV-Vastgoed au ### ou par email à ### pour organiser une visite ou obtenir une estimation gratuite de votre propre propriété. Ce garage représente une opportunité unique dans ce secteur dynamique, et une prise de contact rapide pourrait vous permettre de sécuriser cette acquisition avantageuse. En savoir plus ?

Contacter
Détails
E-mail
Appeler
+32 52 50 35 03
25 000 €

1731 Zellik

immo DAVID vous propose : box fermé de 16 m² En avez-vous assez de chercher sans cesse une place de parking ou de payer une carte de résident ? Investissez dans votre propre box fermé : une solution pratique pour votre confort ou un investissement immobilier judicieux (premier achat ou placement). Le box (n°20) est accessible via un passage commun et dispose d’une porte manuelle. L’électricité est également disponible. Emplacement très pratique : à proximité des pavillons du Breughelpark, du Ring de Bruxelles, des écoles, des commerces et des transports en commun. N’hésitez pas à nous contacter pour plus d’informations ou pour organiser une visite. En savoir plus ?

Contacter
Détails
E-mail
Appeler
+32 2 305 51 33
27 000 €

1731 Zellik

Immo David vous propose : un garage box fermé de 20 m² avec électricité, idéal comme investissement rentable, espace de stockage supplémentaire ou solution de rangement pour indépendants et entreprises, tels que les entrepreneurs. Le garage est facilement accessible depuis la rue et se situe à l’arrière du bâtiment, offrant davantage de discrétion, de sécurité et de confort d’utilisation. Grâce à sa situation stratégique à proximité du Ring, du centre de Zellik et de Bruxelles, ce garage bénéficie d’une excellente accessibilité et d’une plus-value durable. Une opportunité rare et polyvalente, parfaitement adaptée tant aux particuliers qu’aux professionnels, dans un secteur recherché. En savoir plus ?

Contacter
Détails
E-mail
Appeler
+32 2 305 51 33
Faire offre à partir de 27 000 €

1090 Jette

FAIRE OFFRE À PARTIR DE 27.000€. JETTE : Garage situé dans le quartier Cardinal Mercier, reconnu pour sa connexion facile avec la gare de Jette entre Avenue Charles Woeste et le Cimetière de Jette. Hauteur sous porte : 1m85 Largeur intérieure : 2m26 Superficie : 12 m² Le fonds de roulement s’élève à : 16,37€/mois et comprend : frais communs (électricité, syndic et assurance) Occupé - Loyer actuel : 100€ Porte de garage manuelle Le prix affiché est le prix de départ. Le propriétaire, vendeur du bien, dispose de la faculté, de manière totalement libre et autonome, de vendre ou de ne pas vendre. S’il décide de vendre, il n’est nullement tenu de retenir l’offre la plus élevée mais choisit celle qui lui convient le mieux au regard de ses propres critères (montant de l’offre, conditions suspensives, délai de signature, etc…) Le refus de l’offre par le propriétaire n’ouvre, au profit de l’offrant, aucun droit à une quelconque indemnité. L’agent immobilier n’a pas le pouvoir de conclure la vente. L’offre doit être remise dans une enveloppe fermée. Si l’offre est remise par mail, sans enveloppe, ou d’une manière générale permettant de lire le prix et ou les conditions d’achat de l’acquéreur, elle sera considéré comme non valable. Sur notre site, vous aurez également le confort de fixer directement un rdv en ligne. Vous pouvez aussi nous contacter au ### Descriptif et mesurage émis à titre indicatif et non contractuel sous réserve d'erreur et/ou omission. En savoir plus ?

Contacter
Détails
E-mail
Appeler
+32 2 268 18 88
24 000 €

1090 Jette

Jette – Rue Ongena | Parking à vendre Dans un quartier en pleine transformation, nous vous proposons un emplacement de parking idéalement situé rue Ongena. ⚠️ Contexte extrêmement favorable : d’importants travaux d’aménagement sont en cours et près d’une centaine de places de stationnement en voirie devraient disparaître. Conséquence ? Une pression accrue sur le stationnement et une valeur renforcée pour les emplacements privatifs. Que vous soyez riverain souhaitant sécuriser votre confort au quotidien ou investisseur à la recherche d’un placement stratégique à forte demande locative, cette opportunité coche toutes les cases. Accès aisé – Manœuvres simples – Charges réduites. Dans un quartier où se garer deviendra un luxe, anticipez dès aujourd’hui. Infos et visites : ### ou au ### En savoir plus ?

Contacter
Détails
E-mail
Appeler
+32 2 534 21 87
33 000 €

1702 Grand-Bigard

Leemans Real Estate vous propose cette spacieuse place de parking souterrain en plein centre de Groot-Bijgaarden. Un ascenseur vous permet d'accéder à votre emplacement. Pour plus d'informations, veuillez contacter : ### ou le ### En savoir plus ?

Contacter
Détails
E-mail
Appeler
+32 2 306 90 00
35 000 €

1090 Jette

À VENDRE - Double garage fermé Deux box de Garage situé Avenue Henri Liebrecht 76. Celui-ci fait partie d'un complexe de 20 garages sous la galerie Mercure à Jette. Porte manuelle à clé et porte automatique avec télécommande pour l'entrée principale du complexe. Possibilité d'acheter un seul box. Hauteur: 1,95 m Largeur: 2,40 m Longueur: 4,90 m N'hésitez pas à nous téléphoner pour planifier une visite ### (Descriptif émis sous réserve d'obtention des renseignements urbanistiques et uniquement à titre indicatif et non contractuel. Les offres sont faites sous réserve d'erreur, vente préalable, changement de prix ou omissions. Les prix s'entendent hors frais de notaires, droits d'enregistrement et/ou TVA à charge de l'acquéreur)." Le bien est vendu sans ses accessoires. Les mesures sont données à titre informatif. En savoir plus ?

Contacter
Détails
E-mail
Appeler
+32 2 420 11 55