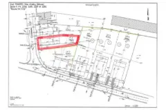
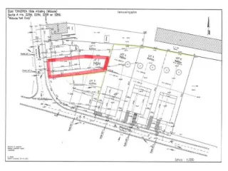
Dans le pittoresque Widooie se trouve un magnifique terrain de 423m² pour une construction semi-ouverte. Le terrain est idéal pour ceux qui recherchent un jardin agréable et une intimité suffisante. L'emplacement près de Tongres est également un grand avantage. Tongres est une ville agréable avec une riche histoire et un centre animé. C'est une occasion unique de créer un petit paradis dans l'une des plus belles régions de Limbourg. En savoir plus ?
Albert Diepenbeek (3590 Diepenbeek)
albert.immo
Dans le pittoresque Widooie se trouve une belle parcelle de 630m² pour une construction ouverte et un jardin orienté au nord-ouest. Ce terrain offre la possibilité parfaite de construire votre maison de rêve dans un environnement calme et verdoyant. L'emplacement de ce terrain est idéal pour ceux qui recherchent la tranquillité et la nature, tout en voulant également la proximité des commodités et des équipements urbains. C'est une opportunité unique de créer un petit paradis dans l'une des plus belles régions du Limbourg. En savoir plus ?
Dans le pittoresque Widooie se trouve un magnifique terrain de 782m² pour une construction ouverte. Le terrain est idéal pour ceux qui recherchent un grand jardin et une intimité suffisante. Avec une superficie de 782 m², il y a assez d'espace pour aménager un magnifique jardin et éventuellement installer une cabane de jardin. L'emplacement près de Tongres est également un grand avantage. Tongres est une ville animée avec une riche histoire et un centre dynamique. C'est une occasion unique de créer un petit paradis dans l'une des plus belles régions du Limbourg. En savoir plus ?
Dans le pittoresque Widooie se trouve un magnifique terrain de 850m² pour une construction ouverte. Le terrain est idéal pour ceux qui recherchent un jardin spacieux et une intimité suffisante. Avec une superficie de 850 m², il y a suffisamment d'espace pour aménager un magnifique jardin et éventuellement installer un chalet de jardin. L'emplacement près de Tongres est également un grand avantage. Tongres est une ville agréable avec une histoire riche et un centre animé. C'est une occasion unique de créer un petit paradis dans l'une des plus belles régions du Limbourg. En savoir plus ?
Dans le pittoresque village de Widooie se trouve un magnifique terrain de 885m² pour une construction ouverte. Le terrain est idéal pour ceux qui recherchent un jardin spacieux et une intimité suffisante. Avec une superficie de 885m², il y a suffisamment d'espace pour aménager un magnifique jardin et éventuellement installer une cabane de jardin. L'emplacement près de Tongres est également un grand avantage. Tongres est une ville animée avec une riche histoire et un centre dynamique. C'est une opportunité unique de créer un petit coin de paradis dans l'une des plus belles régions du Limbourg. En savoir plus ?
Welkom bij deze prachtige flat te koop in Diepenbeek, België! Dit appartement beschikt over een ruime woonkamer, open keuken, 3 slaapkamers, 1 badkamer met inloopdouche, een gasten toilet, een terras, een afgesloten berging en een garage. Met een bewoonbare oppervlakte van 94 vierkante meter is er voldoende ruimte voor het hele gezin. De flat biedt alle comfort die je nodig hebt. Gelegen aan Marktplein 26, geniet je van een centrale ligging dicht bij alle voorzieningen. Indeling: -Hall 11m² -WC 1m² -Keuken 8m² -woonkamer 33m² -Badkamer 7m² -slaapkamer 12m² -slaapkamer 10m² -slaapkamer 12m² -Terras 2,5m² en 6m² Deze unieke kans mag je niet missen. Prijs: €299.000,00. Dit appartement kan bezocht worden mits voorafgaande inschrijving op zaterdag 1 november tussen 10u en 13u. Schrijf je online in op ### of stuur een mailtje naar ### En savoir plus ?
Ben je op zoek naar een ruim, lichtrijk, instapklaar appartement in centrum Kortessem? Zoek niet langer want dit gezellige appartement, met airco, gelegen aan de Opeindestraat, op het 2de verdiep, beschikt over een grote leefruimte, een open keuken, 2 slaapkamers, 1 badkamer , een gastentoilet, een berging met extra douchecabine en een ruim terras. Met een bewoonbare oppervlakte van 90m² is er genoeg ruimte om comfortabel te leven. Bovendien is er ook een autostaanplaats verplicht aan te kopen voor 15000€ zodat u zich geen zorgen hoeft te maken over het vinden van een parkeerplek. Een gezamenlijke fietsenberging en huisvuilberging zijn ook aanwezig. aan de achterzijde van het gebouw is er ook een grote bezoekersparking waar er extra auto's kunnen geparkeerd worden. De troeven van dit appartement zijn : mooi terras, prachtig uitzicht, een extra douche in de berging, 2 wc's, air conditioning en een zeer ruime autostaanplaats. Mis deze kans niet om in het hart van Kortessem te wonen! Bij Albert kom je thuis! En savoir plus ?
Op zoek naar een te renoveren stadswoning op een toplocatie? Zoek niet langer , dit renovatieproject heeft vele troeven in huis. De woning bestaat uit een inkomhal, een woonkamer, een niet ingerichte keuken, 2 slaapkamers op de eerste verdieping en 3 slaapkamers en badkamer op de 2de verdieping. er is ook nog een kleine opbergzolder. De woning heeft ook een buitenterras/koer. Deze woning heeft in de loop der jaren wel enige renovatie gehad zoals nieuw dak in 1992, nieuwe pvc ramen en voordeur in 1996, plaatsing van een gascondens ketel in 2013 en een gaskachel in 2005. Met de nodige grondige renovatie kan dit huis weer een pareltje worden. Het is zeer aangenaam wonen in de buurt, en openbaar vervoer, scholen, winkels zijn op wandelafstand. Interesse? maak zeker een afspraak: ### of ### Bij Albert kom je thuis! En savoir plus ?
Bent u op zoek naar een leuke eengezinswoning gelegen in een rustige wijk en toch dichtbij de stad? Zoek niet langer we hebben een pareltje voor jullie! Dit huis ligt in een rustige wijk in de Inhamstraat en beschikt over een prachtig uitzicht en grenst aan het bos! De woning beschikt over een inkomhal, een gastentoilet, een leefruimte met toegang tot het terras en de tuin, een keuken en een zorgbadkamer. Deze badkamer kan omgevormd worden voor een bijberoep omdat er een aparte ingang is. De bovenverdieping telt 4 slaapkamers en een op te frissen badkamer. In de loop der jaren werd de woning steeds goed onderhouden en zijn er al een aantal verbouwingen geweest waaronder aanleg van centrale verwarming op gas, nieuw dak (2019), isolatie muren (2016), zonnewering (2019) en vernieuwde keuken(2004) ; Met nog een garage en privéparkeerplaats voor de deur, is dit een compacte leuke woning die nog vele jaren plezier garandeert!. voor meer info of een bezoek: contacteer ### of ### Bij Albert kom je thuis! En savoir plus ?
Ben je op zoek naar een ruime tijdloze woning ,op een gunstige ligging ,met veel potentieel? Zoek niet langer! Deze vrijstaande woning gelegen langs de N74, de verbindingsweg tussen Hasselt en Zonhoven, ligt op een perceel grond van 1250m2 en heeft een bewoonbaar oppervlakte van 277m2 (Bron EPC). De te renoveren woning beschikt over een aparte ingang waardoor deze geschikt is als kangoeroewoning of voor mensen met een bijberoep of een praktijk. Langs de voordeur komen we in de centrale inkomhal deze geeft toegang tot een aangename zitruimte met mooie erker met glas in lood, een leefruimte met eet en woonruimte en een volledig ingerichte keuken met eethoek. daarachter bevindt zich de toegang tot de polyvalente ruimte. De badkamer en gastentoilet bevinden zich ook op het gelijkvloers naast de trap. Op het eerste verdiep vinden we 4 slaapkamers alsook een bureauruimte. Via een vaste trap is ook de zolderverdieping bereikbaar. Deze biedt, mits de nodige afwerking, nog vele mogelijkheden. De mooie aangelegde tuin heeft nog een tuinberging en is volledig omheind. De grote troeven van dit huis zijn: de grote woonoppervlakte, de tijdloze uitstraling, de vele mogelijkheden naar co-housing met ouders of kinderen en de prachtige tuin. De woning kan ook aangekocht worden via aandelentransactie. Wil je graag een bezoek inplannen? Contacteer Nathalie ### of ### Bij Albert kom je thuis! En savoir plus ?
Welkom bij deze unieke vastgoedkans in Bilzen-Hoeselt! Dit commerciële, multifunctionele gebouw bestaat uit een toonzaal, opslagruimte, kantoren, werkplaats, en woongedeelte met 1 slaapkamer. Het is ideaal gelegen aan de Tipstraat 95 te Bilzen-Hoeselt. Met een perceeloppervlakte van 1.982m² en een bruikbare oppervlakte van 555m² (470m² handel en 85m² appartement volgens EPC bron) is er voldoende ruimte voor verschillende doeleinden. Het pand beschikt over zowel binnen als buiten parkeergelegenheid. Dit alles is te koop voor slechts €620.000,00. Mis deze kans niet! Opslagruimte: 120 m² Toonzaal: 120 m² Kantoren: 110 m² (auto)Werkplaats: 180 m² Appartement met 1 slaapkamer: 85m² (EPC Bron) En savoir plus ?
Ben je op zoek naar een ruime tijdloze woning ,op een gunstige ligging ,met veel potentieel? Zoek niet langer! Deze vrijstaande woning gelegen langs de N74, de verbindingsweg tussen Hasselt en Zonhoven, ligt op een perceel grond van 1250m2 en heeft een bewoonbaar oppervlakte van 277m2 (Bron EPC). De te renoveren woning beschikt over een aparte ingang waardoor deze geschikt is als kangoeroewoning of voor mensen met een bijberoep of een praktijk. Langs de voordeur komen we in de centrale inkomhal deze geeft toegang tot een aangename zitruimte met mooie erker met glas in lood, een leefruimte met eet en woonruimte en een volledig ingerichte keuken met eethoek. daarachter bevindt zich de toegang tot de polyvalente ruimte. De badkamer en gastentoilet bevinden zich ook op het gelijkvloers naast de trap. Op het eerste verdiep vinden we 4 slaapkamers alsook een bureauruimte. Via een vaste trap is ook de zolderverdieping bereikbaar. Deze biedt, mits de nodige afwerking, nog vele mogelijkheden. De mooie aangelegde tuin heeft nog een tuinberging en is volledig omheind. De grote troeven van dit huis zijn: de grote woonoppervlakte, de tijdloze uitstraling, de vele mogelijkheden naar co-housing met ouders of kinderen en de prachtige tuin. De woning kan ook aangekocht worden via aandelentransactie. Wil je graag een bezoek inplannen? Contacteer Nathalie ### of ### Bij Albert kom je thuis! En savoir plus ?
Op zoek naar een woning met loods op een super locatie? Dit te renoveren huis (ook mogelijk als kangoeroewoning) heeft een loods van 357m². Gelegen aan Grendelbaan 36 te Diepenbeek biedt deze veelzijdige woning mogelijkheden voor zowel privé als professionele doeleinden. De woning beschikt op het gelijkvloers van een handelsruimte, een slaapkamer, een keuken ,een badkamer en een terras. op het verdiep: een keuken, een badkamer, een slaapkamer en een woonkamer. De grote loods biedt talrijk mogelijkheden. De woning heeft een EPC F en moet dus binnen de 5 jaar gerenoveerd worden. Indien interesse, maak een afspraak : ### of bel ### Bij Albert kom je thuis! En savoir plus ?
Ben je op zoek naar een industrieel gebouw met burelen en zonnepanelen in St. Truiden? In de N.B. de Borchgravestraat 4420 vind je op een totale oppervlakte van 11.190 m² een gebouw van 4.600 m², bestaande uit een bureel- en personeelsruimte, een productiehal en een open stockagehal. Het gebouw is voorzien van een grote installatie van zonnepanelen. De getoonde vraagprijs van 1.194.000 € is geldig bij overname van de lopende leaseovereenkomst. De verkoper kan voorafgaandelijk aan verkoop de leaseovereenkomst beëindigen. In dat geval wordt de vraagprijs 2.290.000 €. De bureel- en personeelsruimte in traditioneel metselwerk omvat diverse bureelruimtes, refter, vergaderruimte, keukentje, eerste hulp kamer, cv-ruimte en technische ruimte. Achteraan bevindt zich in dit zelfde gebouw nog een electriciteitscabine. De productiehal bestaat uit een metaalconstructie met wanden en licht hellend dak bekleed met sandwichpanelen, in de nok bevindt zich over de volledige lengte een lichtstraat. De bevloering bestaat uit een gepolierde beton. De verwarming is voorzien in luchtverwarming op stookolie. De open stockagehal bestaat uit een metaalconstructie zonder wanden en met een licht hellende dakbedekking in sandwichpanelen, in de nok bevindt zich ook hier een grote lichtstraat. De bevloering is ook hier voorzien van een gepolierde betonvloer. Verhard terrein: Het overige gedeelte van het terrein is eveneens verhard met beton en doet dienst als stockage. Op het terrein rechts-achter bevindt zich ook nog een droogoven voor het drogen van afgewerkte paletten. Zonnepanelen : Het gebouw is voorzien van zonnepanelen met een vermogen van +/-225000 kWh./jaar. Als eigenaar krijg je groenestroomcertificaten twv. € 350/1000kWh tot 14/12/2030. De NCW van de zonnepanelen bedraagt € 390.000. Contacteer Geert op ### voor meer info. En savoir plus ?
À la recherche d'une maison historique authentique à Dinant? Cette magnifique ancienne école rénovée à Dinant comprend un gîte pour 14 personnes, un appartement entièrement rénové avec 3 chambres, une salle de fête avec espace artistique et scène, 2 grands espaces de vie/bureaux et 2 salles de pratique! Le bâtiment est classé monument en raison de sa valeur historique et architecturale. Avec une surface habitable de 752 m², vous avez de nombreuses possibilités avec les différents espaces. Profitez de la vie en plein air sur la terrasse et garez-vous facilement à la maison ou sur les nombreux parkings à proximité. La maison est entièrement meublée et rénovée avec goût au cours des 5 dernières années. Située entre la Meuse et la Rue des Rivages 87,89, cette maison multifonctionnelle est idéale pour une grande famille, une profession libérale, des bureaux ou des investisseurs. La beauté de l'environnement, le calme de la Meuse, les éléments magnifiques du bâtiment et la grandeur de cette propriété vous étonneront! Ne manquez pas cette opportunité et prenez rendez-vous pour une visite! Pour plus d'informations: ### ou ### Chez Albert, vous êtes chez! En savoir plus ?
Op zoek naar een ruime instapklare ééngezinswoning met tuin op een rustige locatie? Deze woning met bewoonbare opp. van 266m² (bron EPC) is gelegen in Diepenbeek, op een mooi zuidgericht perceel van 788m² met grote tuin. Het bijgebouw biedt ook veel mogelijkheden voor hobbyisten, of als plaats voor een mobilhome. De woning ligt vlakbij al de verbindingswegen naar Diepenbeek centrum, Genk of Hasselt. Met in de nabije omgeving sportmogelijkheden, openbaar vervoer en scholen. Indeling: * Kelder (41m²) * Gelijkvloers: Inkomhal Toilet Bureau Woonkamer (36m²) Keuken Wasplaats/Berging Slaapkamer 1 (14m²) Badkamer Inpandige garage Bijgebouw (38m²) met veel mogelijkheden (incl. werkput) en hoge deuren (2.80m)! * Eerste verdieping: Nachthal 4 Ruime slaapkamers (18m², 18m², 14m², 14m²) Hobbykamer/Bureau (17m²) met toegang tot zolderberging * Bijzonderheden: Ruime woning met enorm veel potentieel Omheinde zuidgerichte tuin *EPC-C : Energiezuinige woning zonder renovatieplicht! Wens je meer informatie over dit unieke pand of graag een bezoek inplannen? Contacteer Nathalie ### of ### of bezoek onze website albert.immo. Bij Albert kom je thuis! En savoir plus ?
Op zoek naar een ruim duplex appartement met handelsfunctie? Dit gebouw met woon- en handelsfunctie ligt op een goede zichtlocatie en beschikt over een private parking aan de straatkant. De totale oppervlakte van de percelen bedraagt 1ha 11a 08ca. Het domein biedt tevens de mogelijkheid voor dierenliefhebbers om hun hobby uit te oefenen en het is ook ideaal voor paardenliefhebbers! Het hoofdgebouw bestaat enerzijds uit een gelijkvloerse winkel met een oppervlakte van 200 vierkante meter en anderzijds uit een duplex appartement met een oppervlakte van 300 vierkante meter. Naast het winkelgedeelte zijn er op het gelijkvloers een apart toilet, een kleine berging, een grote berging met functionerende koelcel, en een polyvalente ruimte met voorzieningen om de in te richten als studio (televisieaansluiting, wateraanvoer en -afvoer, elektriciteit). Het woongedeelte is zowel apart toegankelijk als via de winkel. Het appartement baadt in het zonlicht. De grote raampartijen aan voor- en achterkant, het hoge plafond met mezzanine en de glazen deuren creëren een ruimtelijk gevoel en brengen extra lichtinval binnen. De ruime living met open keuken wordt verwarmd met vloerverwarming. Op het eerste verdiep bevinden zich verder een apart toilet, een slaapkamer met annex dressing (met aanwezige voorziening voor een badkamer), een tweede slaapkamer/bureau en een grote berging met de chauffageketel, een lavabo en de aansluiting voor een wasmachine. Het volledige plat dak aan de keuken kan gebruikt worden als terras. Op het tweede verdiep bevindt zich links de masterbedroom met badkamer en ruimte voor een dressing. Rechts liggen 2 slaapkamers (met ingebouwde kasten, burelen en een wastafel), een apart toilet en een douchekamer. De totale bruikbare vloer oppervlakte bedraagt 334m2 (bron EPC) De betegelde serre grenst aan het hoofdgebouw. De kweekserre grenst aan een vrijstaand bijgebouw met verschillende bureelruimtes. Omwille van de ligging in agrarisch gebied, moet het pand een agrarische functie behouden. Mits functiewijziging kan het ook aangewend worden als paardenhouderij, manège, dierenasiel, dierenartsenpraktijk, jeugdlogies, tuinaanlegbedrijf, kinderboerderij, centrum voor dierentherapie, een instelling waar personen al dan niet tijdelijk verblijven bij wijze van therapie, onderwijs, opleiding of voorbereiding op de reguliere arbeidsmarkt die onder meer land- en tuinbouwactiviteiten uitoefenen of aan land- en tuinbouw verwante activiteiten uitoefenen. Voor meer info, neem gerust contact op! Bij Albert kom je thuis! En savoir plus ?
Het handelspand (voormalige krantenwinkel) beschikt over 74 m² commerciële ruimte, 3 parkeerplaatsen en een opslagruimte in de kelder van 33 m². Ideale ligging op de N2 tussen Diepenbeek en Bilzen-Hoeselt. Er zijn individuele tellers voor water, elektriciteit en gas. Het EPC heeft label "B". En savoir plus ?
Dans le pittoresque Widooie se trouve un magnifique terrain de 423m² pour une construction semi-ouverte. Le terrain est idéal pour ceux qui recherchent un jardin agréable et une intimité suffisante. L'emplacement près de Tongres est également un grand avantage. Tongres est une ville agréable avec une riche histoire et un centre animé. C'est une occasion unique de créer un petit paradis dans l'une des plus belles régions de Limbourg. En savoir plus ?
Dans le pittoresque Widooie se trouve une belle parcelle de 630m² pour une construction ouverte et un jardin orienté au nord-ouest. Ce terrain offre la possibilité parfaite de construire votre maison de rêve dans un environnement calme et verdoyant. L'emplacement de ce terrain est idéal pour ceux qui recherchent la tranquillité et la nature, tout en voulant également la proximité des commodités et des équipements urbains. C'est une opportunité unique de créer un petit paradis dans l'une des plus belles régions du Limbourg. En savoir plus ?
