Terrain à vendre - Schrassig (Luxembourg)

1 résultats (1 - 1)
630 000 €

5362 Schrassig

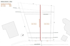
FR: MV CREATION est fière de vous proposer à la vente, deux parceles constructibles de 6,6 et 5,25 ares respectivement avec ou sans projet de construction, avec la possibilité d’accompagnement pour le développement de votre projet individuel. Le terrain permet la construction d’une maison libre de 3 côtés. Situées dans un quartier résidentiel privilégié, cette parcelle de 525 m2 est située dans un écrin de verdure dans la rue Saint Donat, une rue sans issue, à flanc de colline offrant une vue panoramique et sans obstacle sur la plaine en contrebas. Le petit village de Schrassig fait partie de la commune de Schuttrange et se situe à seulement quelques kilomètres du quartier de Kirchberg et du centre-ville. Tourné vers le Sud-Ouest, le terrain bénéficie d’une exposition optimale. Les plus du terrain : - Une situation optimale dans un quartier résidentiel prisé entouré de propriétés cossues, à la « Beverly Hills » - Une magnifique vue dégagée, - Sans contrat de construction mais avec la possibilité d’un accompagnement dans la phase de développement du projet Caractéristiques des parcelles: Parcelle 1: 525 m² Largeur sur rue : ± 13,40 m - profondeur : ± 35 m – largeur arrière : ± 14,4 m Prix de vente: 630.000 Euros Parcelle 2: 660 m² Largeur sur rue : ± 11,52 m - profondeur : ± 40 m – largeur arrière : ± 23,2 m Prix de vente: 765.000 Euros Opportunité rare - situé à 8 km de Luxembourg-ville et à 9 km de l'aéroport de Luxembourg Pour plus de renseignements appeler Viktoryia Jizaoui au +(352) 621 315 919 EN: MV CREATION is proud to offer two plots of building land 6,6 and 5,25 ares respectively, with or without a construction project. We can also support the development of your individual project. The land allows the construction of a house free on 3 sides. Located in a privileged residential area, this plot of 525 m2 is located in a green setting on Saint Donat street, a dead-end street on the hillside offering a panoramic and unobstructed view of the plains below. The small village of Schrassig is part of the municipality of Schuttrange and is located only a few kilometers from the Kirchberg district and the city center. Facing South-West, the land benefits from optimal exposure. The pluses of the plot : - An optimal situation in a residential area surrounded by rich properties in "Beverly Hills" style - A magnificent unobstructed view, - No construction contract but with the possibility of an accompaniment in the development phase of the project Land characteristics : Plot 1: 525 m2 Width on street: ± 13,40 m - depth: ± 35 m - back width: ± 14,4 m Selling price: 630.000 Euros Plot 2: 660 m². Width on street: ± 11,52 m - depth: ± 40 m - rear width: ± 23,2 m Selling price: 765.000 Euros Rare opportunity - located at 8 km from Luxembourg city and 9 km from Luxembourg airport For more information call MV CREATION at +(352) 621 315 919 En savoir plus ?

contacter
détails
E-mail
Appeler

Nous n'avons trouvé que peu de résultats correspondant à vos critères.