Bouwgrond te koop - Keerbergen RWC32932

Oudstrijderslaan 59 3140 Keerbergen

1 095 000 €

Oudstrijderslaan 59 3140 Keerbergen

Ben je op zoek naar Bouwgrond te koop - Keerbergen?

Ontvang een e-mail wanneer er een nieuw zoekertje wordt gevonden!

Maak een alert aan

Beschrijving

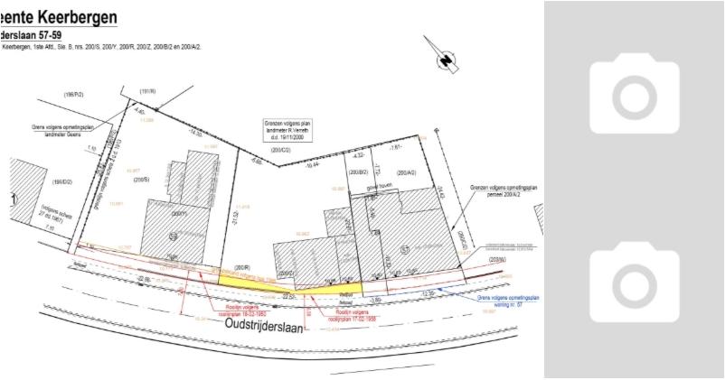
PROJECTGROND voor circa 10 appartementen in het centrum van Keerbergen , gelegen in de overdrukzone voor meergezinswoningen.
Het betreft de woningen nrs 57 tot en met 59
Toon alles Toon minder

Financiële details

  • Prijs: 1 095 000 €

Diensten


Extra informatie

Basisinformatie

Beschikbaarheid

Onmiddellijk

Stedenbouw en omgeving

Type overstromingsgevoeligheid

niet gelegen in een overstromingsgebied

Afgebakend overstromingsgebied

(Niet van toepassing)

Immovlan.be toont de gegevens die door de verkoper werden aangeleverd. Indien belangrijke of verplichte data ontbreken, is dit omdat deze ons niet werden verstrekt.

Ref. Immovlan: RWC32932 Ref. verkoper: Projectgrond Meld fraude

Buurtinformatie

Kinderdagverblijven

Jannekemaan

547 m 1' 49'' 567 m 52'' 547 m 7' 547 m 7'

Kleuterscholen

Vrije Basisschool Sint-Michiel

819 m 2' 43'' 870 m 1' 29'' 568 m 9' 819 m 10'

Basisscholen

Vrije Basisschool Sint-Michiel

786 m 2' 37'' 837 m 1' 25'' 542 m 8' 786 m 9'

Middelbare scholen

Sint-Michielsinstituut

627 m 2' 5'' 644 m 1' 1'' 626 m 8' 626 m 8'

Snelwegen

A1 / E19: Brussel - Mechelen - Antwerpen - (Breda, Nederland)

13,9 km 16'

Bus

De Lijn - 534 - Heist - Putte - Keerbergen scholen

62 m 44''

De Lijn - 539 - Hagelstein - Sint-Ursula - Bonheiden - Keerbergen - Baal

62 m 44''

De Lijn - 25 - Mechelen - Keerbergen - Tremelo - Aarschot

62 m 44''

Treinstations

Haacht

6 km 23' 6,1 km 7' 4,2 km 18' 6 km 1º 12'

Luchthavens

Brussels Airport

22,2 km 1º 30' 25,8 km 26' 0 m 0''

Antwerp International Airport (Deurne)

28 km 1º 39' 33 km 29' 0 m 0''

Laadstations

Delhaize Keerbergen

665 m 54''

Autodelen

Cambio - Keerbergen Kerk

242 m 48'' 242 m 2' 54'' 242 m 2' 54''

Winkels

Delhaize Keerbergen

709 m 2' 21'' 709 m 1' 2'' 549 m 8' 723 m 9'

Colruyt Keerbergen

898 m 2' 59'' 1,2 km 1' 27'' 721 m 11' 898 m 11'

Carrefour Express Rijmenam

3,1 km 10' 3,5 km 5' 2,8 km 15' 3,1 km 37'

Pretparken

Centre Koezio Live Adventure Games

28,3 km 31'

Musea

Musée Bruxellois Du Moulin Et De L’alimentation

25,5 km 29'

Activiteiten

Centre Sortilège.be

28,8 km 29'

Golfen

Royal Keerbergen Golfclub

4 km 4'

Openbaar vervoer

Zich vestigen nabij Oudstrijderslaan betekent genieten van een goed verbonden woonomgeving met alle essentiële voorzieningen binnen handbereik.Zonder auto leven is hier goed mogelijk: meerdere buslijnen bedienen de buurt, waaronder De Lijn - 25 - Mechelen - Keerbergen - Tremelo - Aarschot, De Lijn - 534 - Heist - Putte - Keerbergen scholen, De Lijn - 539 - Hagelstein - Sint-Ursula - Bonheiden - Keerbergen - Baal met een halte op minder dan 1 minuut lopen.

Toerisme

De "Royal Keerbergen Golfclub"golfbaanligt op 4 minuten afstand.Het duurt 29 minuten om het "Musée Bruxellois Du Moulin Et De L’alimentation" museum te bereiken.Er is een pretpark 31 minuten afstand met de auto: "Centre Koezio Live Adventure Games".Op zoek naar een activiteit? "Centre Sortilège.be" bevindt zich op 29 minuten met de auto.

Transporten

Op 3 minuten lopen, vind je het "Cambio - Keerbergen Kerk" station.Een SNCB-station bevindt zich op 23 minuten afstand met de fiets, of 7 minuten met de auto.Voor jouw vakantie of om professionele redenen kun je Brussels Airport in minder dan 26 minuten met de auto bereiken.In minder dan 1 minuut vind je een oplaadstation voor jouw elektrische auto.Een troef voor langeafstandsverplaatsingen: de snelweg A1 / E19 (Brussel - Mechelen - Antwerpen - (Breda, Nederland)) ligt op slechts 16 minuten.

Boodschappen doen

Wat boodschappen betreft bent u goed voorzien met meerdere opties in de buurt: Delhaize Keerbergen (9 minuten lopen of 1 minuut rijden), Colruyt Keerbergen (11 minuten lopen of 1 minuut rijden), Carrefour Express Rijmenam (5 minuten rijden).

Onderwijs

Uw kinderen kunnen te voet naar de middelbare school "Sint-Michielsinstituut", op slechts 8 minuten lopen.Handig voor gezinnen: een kleuterschool / basisschool ligt op 1 minuut met de auto, dat vereenvoudigt het dagelijks leven.De rit naar het kinderdagverblijf "Jannekemaan" past makkelijk in uw dagelijkse routine: reken op 1 minuut met de auto.

Nabijgelegen steden

Automobilisten bereiken Dendermonde in 44 minuten, handig voor het dagelijks leven. Beveren blijft vlot bereikbaar met de auto, op 40 minuten rijden. Mechelen is heel dichtbij: slechts 17 minuten met de auto volstaan.Vervoer en lokale infrastructuur maken dit gebied aangenaam voor dagelijks wonen.

Toon alles Toon minder

8,2 / 10

Openbaar vervoer

Goed aanbod

Onderwijs

Goed bereikbaar te voet of met de fiets

Winkels & diensten

Zeer goed bereikbaar te voet of met de fiets

Ontspanning, sport & cultuur

Redelijk bereikbaar te voet of met de fiets

Gezondheid & zorg

Goed bereikbaar te voet of met de fiets