Opbrengsteigendom te koop - Couillet VBC52744

impasse des hauchies 2 6010 Couillet

Voorstel vanaf 35 000 € Realiseer uw droomproject.

impasse des hauchies 2 6010 Couillet

Ben je op zoek naar Opbrengsteigendom te koop - Couillet?

Ontvang een e-mail wanneer er een nieuw zoekertje wordt gevonden!

Maak een alert aan

Beschrijving

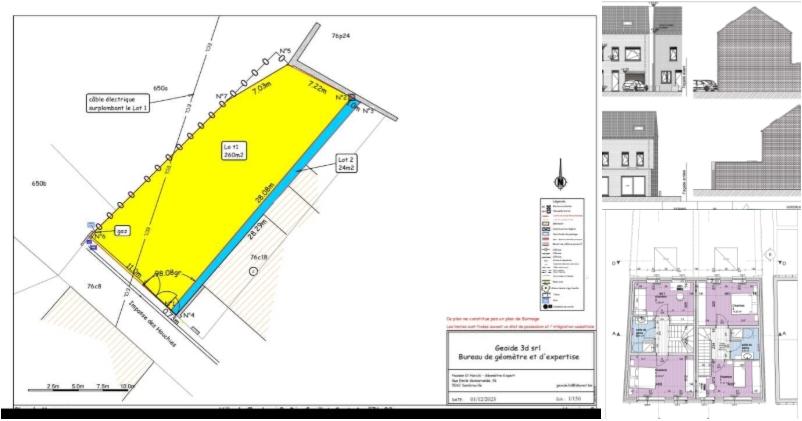
Deze investeringsmogelijkheid bevindt zich aan impasse des hauchies 2 in Couillet, met een vraagprijs van €35.000. Het perceel beslaat een totale oppervlakte van 260 m² en heeft een voorgevelbreedte van 11 meter, met een diepte van 28 meter. Dit biedt een ideale basis voor diverse bouwprojecten, waaronder de ontwikkeling van twee bel-etage woningen. Er is al een voorontwerp beschikbaar voor de bouw van deze huizen, elk met een garage op de begane grond en een lichte leefruimte op de eerste verdieping. De ligging in Couillet is strategisch voor een breed scala aan projecten. Of u nu een enkele woning met drie gevels of een huurproject in gedachten heeft, de mogelijkheden zijn talrijk en afhankelijk van uw visie en de geldende stedenbouwkundige voorschriften. Hoewel specifieke bestemmingsinformatie momenteel niet beschikbaar is, biedt het perceel voldoende flexibiliteit voor uiteenlopende plannen. Dit nieuwe pand biedt investeerders de kans om hun ideeën tot leven te brengen in een opkomende regio. De mogelijkheid bestaat om vanaf €35.000 een bod uit te brengen, wat dit een aantrekkelijke optie maakt voor zowel beginnende als ervaren ontwikkelaars. Neem contact op met L'Essentiel Immobilier voor meer informatie en om deze unieke kans verder te verkennen.

* Deze tekst werd gegenereerd door artificiële intelligentie.

Toon alles Toon minder

Financiële details

  • Prijs: 35 000 €
  • BTW: Nee

Diensten


Extra informatie

Basisinformatie

Staat van het zoekertje

Nieuw pand

Momenteel verhuurd

Nee

Beschrijving interieur

Kelder

Nee

Veranda

Nee

Eetkamer

Nee

Dressing

Nee

Wasruimte

Nee

Fietsenstalling

Nee

Buitenkenmerken

Verdieping van het appartement

0

Aantal gevels

3

Totale grondoppervlakte

260 m²

Breedte voorkant terrein

11 m

Stedenbouw en omgeving

Type overstromingsgevoeligheid

(Niet van toepassing)

Afgebakend overstromingsgebied

(Niet van toepassing)

Immovlan.be toont de gegevens die door de verkoper werden aangeleverd. Indien belangrijke of verplichte data ontbreken, is dit omdat deze ons niet werden verstrekt.

Ref. Immovlan: VBC52744 Ref. verkoper: 4012183 Meld fraude

Buurtinformatie

Kinderdagverblijven

Les Fiestaux

569 m 1' 53'' 569 m 1' 8'' 569 m 7' 569 m 7'

Kleuterscholen

Institut Notre-Dame D'Espérance - Section Fondamentale

71 m 14'' 71 m 8'' 71 m 51'' 71 m 51''

Basisscholen

Institut Notre-Dame D'Espérance - Section Fondamentale

71 m 14'' 71 m 8'' 71 m 51'' 71 m 51''

Middelbare scholen

Centre Éducatif Communal Secondaire "charleroi"

1,1 km 6' 1,5 km 2' 17'' 0 m 0'' 1,1 km 13'

Snelwegen

A54 / E420: Nijvel - Charleroi

5,2 km 6'

A15 / E42: La Louvière - Charleroi - Namen - Luik

14,8 km 10'

Bus

TEC Charleroi - 20 - Gerpinnes - IMTR - Gare Centrale

205 m 2' 28''

TEC Charleroi - 13 - Presles (Cité Solaire) - Gare Centrale

205 m 2' 28''

TEC Charleroi - 12 - Gilly (Cimetière) - Loverval (IMTR)

320 m 4'

Treinstations

Couillet

1,1 km 7' 1,1 km 1' 32'' 0 m 0'' 1,1 km 13'

Luchthavens

Brussels South Charleroi Airport

9,7 km 33' 10,4 km 10' 0 m 0''

Laadstations

Renault Goeyens

1,1 km 2' 8''

Autodelen

Cambio - Charleroi-Gare

3,7 km 14' 0 m 0'' 3,5 km 42'

Winkels

Intermarché Couillet

956 m 4' 1 km 2' 3'' 0 m 0'' 845 m 10'

Delhaize Marcinelle

1,4 km 5' 1,4 km 2' 21'' 0 m 0'' 1,2 km 14'

Lidl Charleroi

1,6 km 10' 1,9 km 2' 23'' 0 m 0'' 1,6 km 19'

Pretparken

Centre De Culture Scientifique

1 km 1' 51''

Musea

Musée Du Verre

4,3 km 5'

Religieuze monumenten

Abbaye D'Aulne

12,8 km 12'

Activiteiten

Maison De La Poterie

6,3 km 7'

Boottochten

Crocodile Rouge

27,7 km 25'

Kastelen

Domaine Du Château De Seneffe

30,5 km 21'

Golfen

Ragnies Golf Club

20 km 20'

Toerisme

Er is een boottocht op slechts 25 minuten afstand: "Crocodile Rouge".Het "Domaine Du Château De Seneffe" kasteel is in 21 minuten bereikbaar.De "Ragnies Golf Club"golfbaanligt op 20 minuten afstand.In 7 minuten bereikt u de "Maison De La Poterie" activiteit.Het "Abbaye D'Aulne" religieuze monument kan worden bereikt in 12 minuten met een auto.Binnen 5 minuten kunt u het "Musée Du Verre" museum bereiken.Er is een pretpark 2 minuten afstand met de auto: "Centre De Culture Scientifique".

Transporten

Je wilt geen eigen auto hebben, maar je hebt er toch af en toe een nodig? Er is het "Cambio - Charleroi-Gare" station waar u een gedeelde auto kunt huren op slechts 42 minuten afstand te voet.In minder dan 2 minuten, met de auto, kan je aan "Couillet" treinstation zijn.Rijd je in een elektrisch voertuig of overweeg je dat? Het dichtstbijzijnde laadstation ("Renault Goeyens") is slechts 2 minuten verwijderd met de auto.Snelweg A54 / E420 (Nijvel - Charleroi) is in 6 minuten te bereiken en de oprit naar A15 / E42 (La Louvière - Charleroi - Namen - Luik) is slechts 10 minuten met de auto.Voor jouw vakantie of om professionele redenen kun je Brussels South Charleroi Airport in minder dan 10 minuten met de auto bereiken.

Openbaar vervoer

De dichtstbijzijnde buslijnen zijn TEC Charleroi - 13 - Presles (Cité Solaire) - Gare Centrale, TEC Charleroi - 20 - Gerpinnes - IMTR - Gare Centrale met een halte op minder dan 2 minuten lopen, TEC Charleroi - 12 - Gilly (Cimetière) - Loverval (IMTR) met een halte op 4 minuten loopafstand.

Boodschappen doen

Er zijn verschillende supermarkten in de buurt: Intermarché Couillet (10 minuten lopen of 2 minuten rijden), Delhaize Marcinelle (14 minuten lopen of 2 minuten rijden), Lidl Charleroi (19 minuten lopen of 2 minuten rijden).

Nabijgelegen steden

In 53 minuten kun je Valenciennes bereiken. In slechts 21 minuten kun je La Louvière bereiken. Je hebt ongeveer 37 minuten nodig om Bergen te bereiken met de auto. Namen is slechts 29 minuten met de auto.

Onderwijs

Centre Éducatif Communal Secondaire "charleroi" is de meest dichtstbijzijnde middelbare school: slechts 6 minuten afstand met de fiets.Je kunt dichtbij een kleuterschool en basisschool vinden: "Institut Notre-Dame D'Espérance - Section Fondamentale", 1 minuut afstand met de auto.Je kunt gemakkelijk een kinderdagverblijf: "Les Fiestaux" vinden op 7 minuten loopafstand.

Toon alles Toon minder